
Het adres Meeweg 19 bevindt zich in de plaats Hem, in de gemeente Hem en de provincie Noord-Holland. De oppervlakte bedraagt 170 m², waarmee het adres groter dan gemiddeld is. De grootte van het perceel waarop het adres ligt is 1970 m². Het adres is klein vergeleken met andere objecten in de straat. Het grootste object in de straat heeft een oppervlakte van 4090 m², het kleinste is 4 m² groot. Meeweg 19 bevindt zich in een pand uit het jaar 1898. Daarmee behoort het tot de groep relatief oude panden in Nederland die gebouwd zijn vóór 1965. Dit is het oudste object in de straat. Het nieuwste pand komt uit 2026 en het gemiddelde bouwjaar in de straat is 1958. De volgende gebruiksdoelen zijn geregistreerd voor dit adres: 'woonfunctie'.
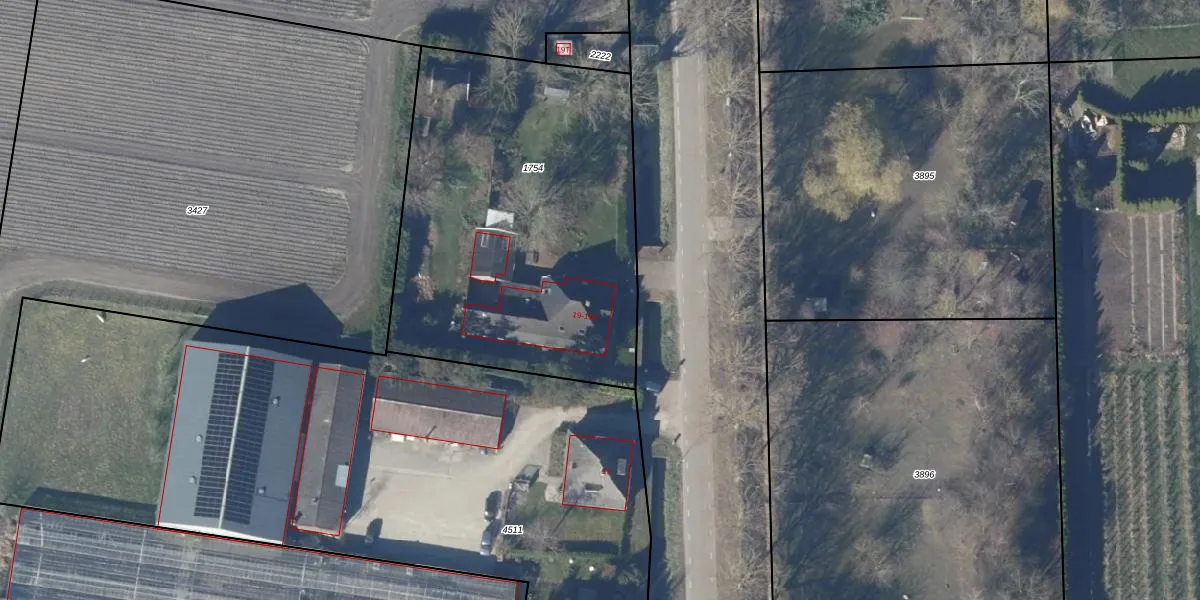
Het adres ligt op het perceel VHZ03-G-1754, dat zich in de kadastrale gemeente Venhuizen bevindt. Het perceel is 1970 m² groot. Dat is kleiner dan de gemiddelde perceeloppervlakte in Venhuizen, dat op 9343,38 m² ligt. Het grootste perceel in de kadastrale gemeente is 4,40 km². Het kleinste perceel heeft een oppervlakte van 0 m². Op het perceel zijn 2 adressen aanwezig. In de Basisregistratie Kadaster (BRK) werden de grenzen van het perceel geregistreerd op 18-01-2011.
Er is geen energielabel geregistreerd voor het adres. Het hoogste energielabel in de straat is A++; het laagste is G. Het gemiddelde energielabel is er C. Het adres Meeweg 19 heeft als status: 'verblijfsobject in gebruik'. Het pand waarin dit adres ligt heeft als status: 'pand in gebruik'.
Meeweg 19 is een adres gelegen in de gemeente Drechterland, provincie Noord-Holland. Dit adres is geregistreerd in de Basisregistratie Adressen en Gebouwen (BAG) met als unieke identificatie 0498010000003352.
Het pand op Meeweg 19 is gebouwd in 1898, wat betekent dat het 128 jaar oud is. Dit is een ouder pand. Het pand heeft mogelijk aanzienlijke renovaties nodig om aan de huidige standaarden te voldoen.
De woning op Meeweg 19 heeft een gebruiksoppervlakte van 170 m². Dit is ruim vergeleken met de gemiddelde Nederlandse woning, die een oppervlakte heeft van ongeveer 119 m². De gebruiksoppervlakte is de maat die wordt gebruikt in de BAG-registratie, de landelijke registratie van de Nederlandse overheid.
Meeweg 19 heeft als functie: wonen. Deze gebruiksfunctie(s) zijn vastgelegd in de BAG-registratie en geven aan waarvoor het adres officieel mag worden gebruikt.
Meeweg 19 is gelegen op kadastraal perceel VHZ03G1754. Deze kadastrale aanduiding is uniek en wordt gebruikt door het Kadaster om eigendomsrechten en andere zakelijke rechten vast te leggen. Het perceel maakt onderdeel uit van de kadastrale gemeente Venhuizen.
Het perceel waarop Meeweg 19 staat heeft een oppervlakte van 1970 m². Dit is een zeer groot perceel. De perceeloppervlakte wordt geregistreerd door het Kadaster. Gedetailleerde informatie over de maten van dit perceel kunt u vinden in het rapport Kadastrale kaart met maatvoering van Meeweg 19.
De eigenaar van Meeweg 19 is op te vragen op deze pagina.
De informatie over dit adres is afkomstig uit officiële overheidsregistraties, voornamelijk de Basisregistratie Adressen en Gebouwen (BAG) en de Basisregistratie Kadaster (BRK). Deze gegevens worden beheerd door respectievelijk gemeenten en het Kadaster, en worden regelmatig bijgewerkt. Energielabelgegevens komen uit de database van de Rijksdienst voor Ondernemend Nederland (RVO).
