
Het adres Rondenburglaan 45 bevindt zich in de plaats Hoofddorp, in de gemeente Hoofddorp en de provincie Noord-Holland. Het perceel waarop het adres gelegen is heeft een oppervlakte van 891 m². Het verblijfsobject is met 94 m² relatief klein. De oppervlakte van het adres is klein vergeleken met de andere objecten in de straat. De oppervlakte van het kleinste object in de straat bedraagt 74 m², terwijl het grootste object 227 m² groot is. In het jaar 1994 is het pand waarin Rondenburglaan 45 ligt gebouwd. Dat is relatief recent: de meeste gebouwen in Nederland zijn gebouwd in de periode 1965-1984. Het gemiddelde bouwjaar in de straat is 1995 en dat van het nieuwste object 1995. In de straat is dit het oudste pand. Voor het verblijfsobject gelden deze gebruiksdoelen: 'woonfunctie'.
Deze woning is voor het laatst verkocht op 1 maart 2025. Meer informatie over deze transactie? Bestel het Woningtransactierapport om de verkoopprijs en andere informatie te zien.
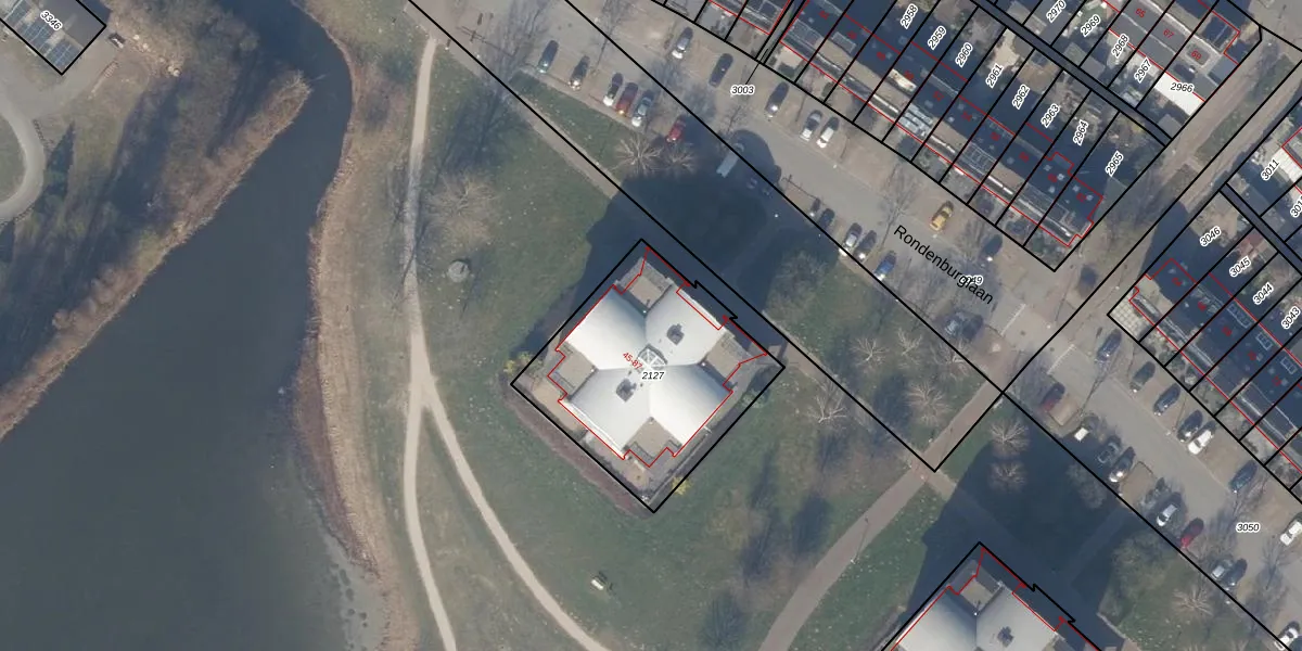
Het adres is gelegen op perceel 2127 in de sectie Q en de kadastrale gemeente Haarlemmermeer. De kadastrale aanduiding is aldus HLM03-Q-2127. De gemiddelde perceelgrootte in Haarlemmermeer is 2856,39 m². Dit perceel is kleiner: de perceeloppervlakte bedraagt 891 m². De grootste perceeloppervlakte in de kadastrale gemeente is 1,58 km². De kleinste oppervlakte bedraagt 0 m². Er zijn 22 adressen aanwezig op het perceel. In de Basisregistratie Kadaster (BRK) werden de grenzen van het perceel geregistreerd op 16-09-2003.
Het adres ligt in een gebouw van het type 'flatwoning (overig) met het subtype hoekvloer'. Bij de laatste meting is voor het adres het energielabel B geregistreerd. Het hoogste energielabel in de straat is A+; het laagste is G. Het gemiddelde energielabel is er B. Het adres Rondenburglaan 45 heeft als status: 'verblijfsobject in gebruik'. Het pand waarin dit adres ligt heeft als status: 'pand in gebruik'.
Rondenburglaan 45 is een adres gelegen in de gemeente Haarlemmermeer, provincie Noord-Holland. Dit adres is geregistreerd in de Basisregistratie Adressen en Gebouwen (BAG) met als unieke identificatie 0394010000303441.
Het pand op Rondenburglaan 45 is gebouwd in 1994, wat betekent dat het 32 jaar oud is. Dit is een pand van middelbare leeftijd. Het pand is van gemiddelde leeftijd en zal waarschijnlijk verouderde elementen bevatten.
De woning op Rondenburglaan 45 heeft een gebruiksoppervlakte van 94 m². Dit is onder het gemiddelde vergeleken met de gemiddelde Nederlandse woning, die een oppervlakte heeft van ongeveer 119 m². De gebruiksoppervlakte is de maat die wordt gebruikt in de BAG-registratie, de landelijke registratie van de Nederlandse overheid.
Rondenburglaan 45 heeft als functie: wonen. Deze gebruiksfunctie(s) zijn vastgelegd in de BAG-registratie en geven aan waarvoor het adres officieel mag worden gebruikt.
Rondenburglaan 45 is gelegen op kadastraal perceel HLM03Q2127. Deze kadastrale aanduiding is uniek en wordt gebruikt door het Kadaster om eigendomsrechten en andere zakelijke rechten vast te leggen. Het perceel maakt onderdeel uit van de kadastrale gemeente Haarlemmermeer.
Het perceel waarop Rondenburglaan 45 staat heeft een oppervlakte van 891 m². Dit is een groot perceel. De perceeloppervlakte wordt geregistreerd door het Kadaster. Gedetailleerde informatie over de maten van dit perceel kunt u vinden in het rapport Kadastrale kaart met maatvoering van Rondenburglaan 45.
De eigenaar van Rondenburglaan 45 is op te vragen op deze pagina.
De informatie over dit adres is afkomstig uit officiële overheidsregistraties, voornamelijk de Basisregistratie Adressen en Gebouwen (BAG) en de Basisregistratie Kadaster (BRK). Deze gegevens worden beheerd door respectievelijk gemeenten en het Kadaster, en worden regelmatig bijgewerkt. Energielabelgegevens komen uit de database van de Rijksdienst voor Ondernemend Nederland (RVO).
