
Het adres Seinpostweg 36 bevindt zich in de plaats IJmuiden, in de gemeente IJmuiden en de provincie Noord-Holland. De oppervlakte van het verblijfsobject is met 927 m² aan de grote kant. Het perceel heeft een oppervlakte van 7150 m². In vergelijking met de andere adressen in de straat is de oppervlakte van dit object relatief groot. Het grootste verblijfsobject heeft een oppervlakte van 1153 m², de oppervlakte van het kleinste object bedraagt 6 m². Seinpostweg 36 bevindt zich in een pand uit het jaar 1913. Daarmee behoort het tot de groep relatief oude panden in Nederland die gebouwd zijn vóór 1965. Het nieuwste gebouw in de straat komt uit 2024 en het oudste uit 1878. Dit object is relatief oud. De volgende gebruiksdoelen zijn geregistreerd voor dit adres: 'logiesfunctie'.
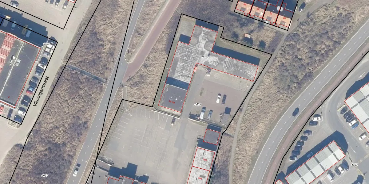
Het perceel waarop het adres ligt is IMD00-L-5405. De afkorting 'IMD00' staat voor kadastrale gemeente IJmuiden. De oppervlakte van het perceel is 7150 m². Dat is groter dan gemiddeld in IJmuiden, waar de gemiddelde perceeloppervlakte op 2584,83 m² ligt. Het grootste perceel in de kadastrale gemeente is 5,30 km². Het kleinste perceel heeft een oppervlakte van 0 m². Op het perceel liggen in totaal 7 adressen. In de Basisregistratie Kadaster (BRK) werden de grenzen van het perceel geregistreerd op 21-03-2007.
Er is geen energielabel geregistreerd voor het adres. Het hoogste energielabel in de straat is B; het laagste is G. Het gemiddelde energielabel is er B. Het adres Seinpostweg 36 heeft als status: 'verblijfsobject in gebruik'. Het pand waarin dit adres ligt heeft als status: 'pand in gebruik'.
Seinpostweg 36 is een adres gelegen in de gemeente Velsen, provincie Noord-Holland. Dit adres is geregistreerd in de Basisregistratie Adressen en Gebouwen (BAG) met als unieke identificatie 0453010001018755.
Het pand op Seinpostweg 36 is gebouwd in 1913, wat betekent dat het 113 jaar oud is. Dit is een ouder pand. Het pand heeft mogelijk aanzienlijke renovaties nodig om aan de huidige standaarden te voldoen.
De woning op Seinpostweg 36 heeft een gebruiksoppervlakte van 927 m². Dit is ruim vergeleken met de gemiddelde Nederlandse woning, die een oppervlakte heeft van ongeveer 119 m². De gebruiksoppervlakte is de maat die wordt gebruikt in de BAG-registratie, de landelijke registratie van de Nederlandse overheid.
Seinpostweg 36 heeft als functie: logies/verblijf. Deze gebruiksfunctie(s) zijn vastgelegd in de BAG-registratie en geven aan waarvoor het adres officieel mag worden gebruikt.
Seinpostweg 36 is gelegen op kadastraal perceel IMD00L5405. Deze kadastrale aanduiding is uniek en wordt gebruikt door het Kadaster om eigendomsrechten en andere zakelijke rechten vast te leggen. Het perceel maakt onderdeel uit van de kadastrale gemeente IJmuiden.
Het perceel waarop Seinpostweg 36 staat heeft een oppervlakte van 7150 m². Dit is een zeer groot perceel. De perceeloppervlakte wordt geregistreerd door het Kadaster. Gedetailleerde informatie over de maten van dit perceel kunt u vinden in het rapport Kadastrale kaart met maatvoering van Seinpostweg 36.
De eigenaar van Seinpostweg 36 is op te vragen op deze pagina.
De informatie over dit adres is afkomstig uit officiële overheidsregistraties, voornamelijk de Basisregistratie Adressen en Gebouwen (BAG) en de Basisregistratie Kadaster (BRK). Deze gegevens worden beheerd door respectievelijk gemeenten en het Kadaster, en worden regelmatig bijgewerkt. Energielabelgegevens komen uit de database van de Rijksdienst voor Ondernemend Nederland (RVO).
