
Het adres Karnemelksweg 5-D bevindt zich in de plaats Lage Vuursche, in de gemeente Lage Vuursche en de provincie Utrecht. De oppervlakte van het object bedraagt 32 m². Dat is klein vergeleken met het Nederlandse gemiddelde. Het perceel waarop het adres ligt is 465 m² groot. Het object is klein ten opzichte van de andere adressen in de straat. Het grootste verblijfsobject is 499 m² groot en het kleinste is 26 m². In het jaar 2007 is het pand waarin Karnemelksweg 5-D ligt gebouwd. Dat is relatief recent: de meeste gebouwen in Nederland zijn gebouwd in de periode 1965-1984. Veel andere gebouwen in de straat zijn ouder dan dit pand. Het oudste pand komt uit het jaar 1955 en het nieuwste uit 2023. Het verblijfsobject heeft de volgende gebruiksdoelen: 'logiesfunctie'.
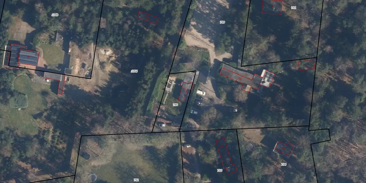
Het perceel waarop het adres ligt is BAA01-F-790. De afkorting 'BAA01' staat voor kadastrale gemeente Baarn. Het perceel is kleiner dan gemiddeld in Baarn. Het perceel is 465 m² groot, terwijl het gemiddelde ligt op 3282,24 m². De grootste perceeloppervlakte in de kadastrale gemeente is 84,4 ha. De kleinste oppervlakte bedraagt 0 m². Er zijn geen andere adressen aanwezig op het perceel. In de Basisregistratie Kadaster (BRK) werden de grenzen van het perceel geregistreerd op 06-07-2021.
Er is geen energielabel geregistreerd voor het adres. Het hoogste energielabel in de straat is A++; het laagste is G. Het gemiddelde energielabel is er A+. Het adres Karnemelksweg 5-D heeft als status: 'verblijfsobject in gebruik'. Het pand waarin dit adres ligt heeft als status: 'pand in gebruik'.
Karnemelksweg 5-D is een adres gelegen in de gemeente Baarn, provincie Utrecht. Dit adres is geregistreerd in de Basisregistratie Adressen en Gebouwen (BAG) met als unieke identificatie 0308010000004491.
Het pand op Karnemelksweg 5-D is gebouwd in 2007, wat betekent dat het 19 jaar oud is. Dit is een relatief modern pand. Ten opzichte van de nationale woningvoorraad is het pand relatief modern, maar er kunnen enkele verouderde elementen zijn die aandacht nodig hebben.
De woning op Karnemelksweg 5-D heeft een gebruiksoppervlakte van 32 m². Dit is relatief klein vergeleken met de gemiddelde Nederlandse woning, die een oppervlakte heeft van ongeveer 119 m². De gebruiksoppervlakte is de maat die wordt gebruikt in de BAG-registratie, de landelijke registratie van de Nederlandse overheid.
Karnemelksweg 5-D heeft als functie: logies/verblijf. Deze gebruiksfunctie(s) zijn vastgelegd in de BAG-registratie en geven aan waarvoor het adres officieel mag worden gebruikt.
Karnemelksweg 5-D is gelegen op kadastraal perceel BAA01F790. Deze kadastrale aanduiding is uniek en wordt gebruikt door het Kadaster om eigendomsrechten en andere zakelijke rechten vast te leggen. Het perceel maakt onderdeel uit van de kadastrale gemeente Baarn.
Het perceel waarop Karnemelksweg 5-D staat heeft een oppervlakte van 465 m². Dit is een groot perceel. De perceeloppervlakte wordt geregistreerd door het Kadaster. Gedetailleerde informatie over de maten van dit perceel kunt u vinden in het rapport Kadastrale kaart met maatvoering van Karnemelksweg 5-D.
De eigenaar van Karnemelksweg 5-D is op te vragen op deze pagina.
De informatie over dit adres is afkomstig uit officiële overheidsregistraties, voornamelijk de Basisregistratie Adressen en Gebouwen (BAG) en de Basisregistratie Kadaster (BRK). Deze gegevens worden beheerd door respectievelijk gemeenten en het Kadaster, en worden regelmatig bijgewerkt. Energielabelgegevens komen uit de database van de Rijksdienst voor Ondernemend Nederland (RVO).
