
Het adres Pastoor Scheepersstraat 56 bevindt zich in de plaats Landgraaf, in de gemeente Landgraaf en de provincie Limburg. Het perceel waarop het adres gelegen is heeft een oppervlakte van 8270 m². Het verblijfsobject is met 55 m² relatief klein. Het object is klein ten opzichte van de andere adressen in de straat. Het grootste verblijfsobject is 1117 m² groot en het kleinste is 16 m². Pastoor Scheepersstraat 56 bevindt zich in een pand uit het jaar 1964. Daarmee behoort het tot de groep relatief oude panden in Nederland die gebouwd zijn vóór 1965. Het bouwjaar is oud vergeleken met dat van de andere panden in de straat. Het oudste bouwjaar is er 1962 en de nieuwste is 2001. Het verblijfsobject heeft de volgende gebruiksdoelen: 'woonfunctie'.
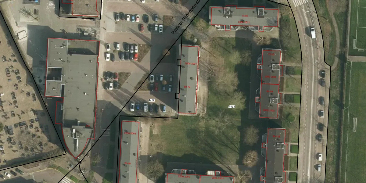
Het perceel waarop het adres ligt is UBH00-B-4413. De afkorting 'UBH00' staat voor kadastrale gemeente Ubach over Worms. De gemiddelde perceeloppervlakte in de kadastrale gemeente Ubach over Worms is 1405,49 m². Dit perceel is met zijn 8270 m² dus groter dan gemiddeld. Het grootste perceel in de kadastrale gemeente is 15,3 ha. Het kleinste perceel heeft een oppervlakte van 0 m². Er zijn 96 adressen aanwezig op het perceel. In de Basisregistratie Kadaster (BRK) werden de grenzen van het perceel geregistreerd op 02-06-2008.
Het adres ligt in een gebouw van het type 'appartement met het subtype tussenvloer'. Bij de laatste meting is voor het adres het energielabel B geregistreerd. Het hoogste energielabel in de straat is A+; het laagste is G. Het gemiddelde energielabel is er B. Het adres Pastoor Scheepersstraat 56 heeft als status: 'verblijfsobject in gebruik'. Het pand waarin dit adres ligt heeft als status: 'pand in gebruik'.
Pastoor Scheepersstraat 56 is een adres gelegen in de gemeente Landgraaf, provincie Limburg. Dit adres is geregistreerd in de Basisregistratie Adressen en Gebouwen (BAG) met als unieke identificatie 0882010000013910.
Het pand op Pastoor Scheepersstraat 56 is gebouwd in 1964, wat betekent dat het 62 jaar oud is. Dit is een ouder pand. Het pand heeft mogelijk aanzienlijke renovaties nodig om aan de huidige standaarden te voldoen.
De woning op Pastoor Scheepersstraat 56 heeft een gebruiksoppervlakte van 55 m². Dit is relatief klein vergeleken met de gemiddelde Nederlandse woning, die een oppervlakte heeft van ongeveer 119 m². De gebruiksoppervlakte is de maat die wordt gebruikt in de BAG-registratie, de landelijke registratie van de Nederlandse overheid.
Pastoor Scheepersstraat 56 heeft als functie: wonen. Deze gebruiksfunctie(s) zijn vastgelegd in de BAG-registratie en geven aan waarvoor het adres officieel mag worden gebruikt.
Pastoor Scheepersstraat 56 is gelegen op kadastraal perceel UBH00B4413. Deze kadastrale aanduiding is uniek en wordt gebruikt door het Kadaster om eigendomsrechten en andere zakelijke rechten vast te leggen. Het perceel maakt onderdeel uit van de kadastrale gemeente Ubach over Worms.
Het perceel waarop Pastoor Scheepersstraat 56 staat heeft een oppervlakte van 8270 m². Dit is een zeer groot perceel. De perceeloppervlakte wordt geregistreerd door het Kadaster. Gedetailleerde informatie over de maten van dit perceel kunt u vinden in het rapport Kadastrale kaart met maatvoering van Pastoor Scheepersstraat 56.
De eigenaar van Pastoor Scheepersstraat 56 is op te vragen op deze pagina.
De informatie over dit adres is afkomstig uit officiële overheidsregistraties, voornamelijk de Basisregistratie Adressen en Gebouwen (BAG) en de Basisregistratie Kadaster (BRK). Deze gegevens worden beheerd door respectievelijk gemeenten en het Kadaster, en worden regelmatig bijgewerkt. Energielabelgegevens komen uit de database van de Rijksdienst voor Ondernemend Nederland (RVO).
