Oude Heldenseweg 14-A is gelegen in de plaats Maasbree, de gemeente Peel en Maas en de provincie Limburg. Het perceel waarop het verblijfsobject staat is 2063 m² groot. De oppervlakte van het adres is 107 m², wat zich rond het Nederlandse gemiddelde van 119 m² bevindt. In de straat is dit het kleinste object. Het grootste verblijfsobject heeft een oppervlakte van 3123 m². De gemiddelde grootte is er 401 m². Het adres Oude Heldenseweg 14-A ligt in een relatief oud pand uit het jaar 1900. Panden van vóór het jaar 1965 hebben we hier geclassificeerd als oud. Dit is het oudste object in de straat. Het nieuwste pand komt uit 2015 en het gemiddelde bouwjaar in de straat is 1958. Voor het verblijfsobject gelden deze gebruiksdoelen: 'gezondheidszorgfunctie'.
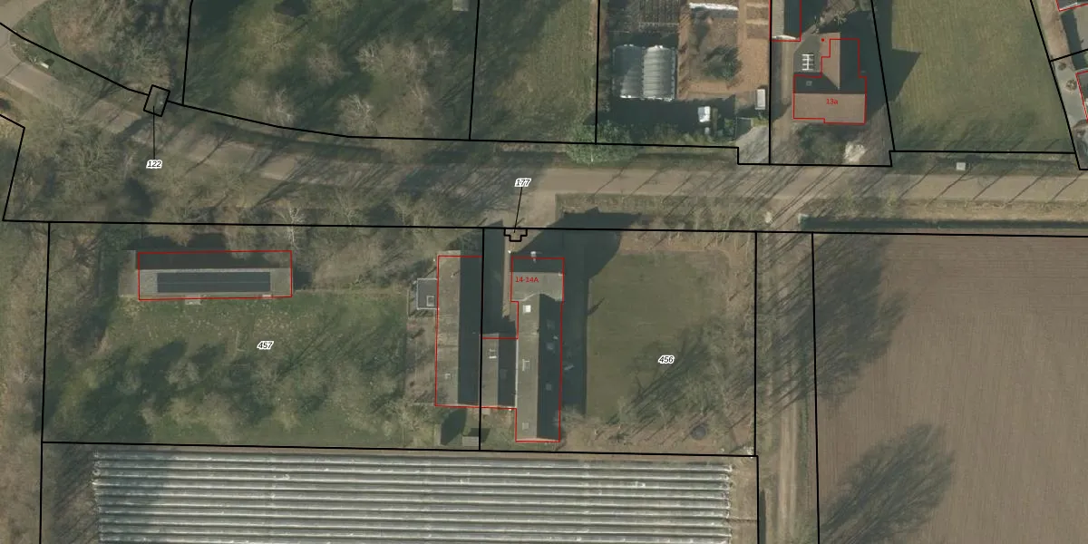
Het perceel waarop het adres ligt is MBE00-U-456. De afkorting 'MBE00' staat voor kadastrale gemeente Maasbree. De gemiddelde perceelgrootte in Maasbree is 4472,14 m². Dit perceel is kleiner: de perceeloppervlakte bedraagt 2063 m². De grootste perceeloppervlakte in de kadastrale gemeente is 26,2 ha. De kleinste oppervlakte bedraagt 0 m². Op het perceel zijn 2 adressen aanwezig. De laatste wijziging in het de Basisregistratie Kadaster (BRK) was op 21-12-2023.
Er is geen energielabel geregistreerd voor het adres. Het hoogste energielabel in de straat is A; het laagste is G. Het gemiddelde energielabel is er C. Het adres Oude Heldenseweg 14-A heeft als status: 'verblijfsobject in gebruik'. Het pand waarin dit adres ligt heeft als status: 'pand in gebruik'.
Oude Heldenseweg 14-A is een adres gelegen in de gemeente Peel en Maas, provincie Limburg. Dit adres is geregistreerd in de Basisregistratie Adressen en Gebouwen (BAG) met als unieke identificatie 1894010000311176.
Het pand op Oude Heldenseweg 14-A is gebouwd in 1900, wat betekent dat het 126 jaar oud is. Dit is een ouder pand. Het pand heeft mogelijk aanzienlijke renovaties nodig om aan de huidige standaarden te voldoen.
De woning op Oude Heldenseweg 14-A heeft een gebruiksoppervlakte van 107 m². Dit is onder het gemiddelde vergeleken met de gemiddelde Nederlandse woning, die een oppervlakte heeft van ongeveer 119 m². De gebruiksoppervlakte is de maat die wordt gebruikt in de BAG-registratie, de landelijke registratie van de Nederlandse overheid.
Oude Heldenseweg 14-A heeft als functie: gezondheidszorg. Deze gebruiksfunctie(s) zijn vastgelegd in de BAG-registratie en geven aan waarvoor het adres officieel mag worden gebruikt.
Oude Heldenseweg 14-A is gelegen op kadastraal perceel MBE00U456. Deze kadastrale aanduiding is uniek en wordt gebruikt door het Kadaster om eigendomsrechten en andere zakelijke rechten vast te leggen. Het perceel maakt onderdeel uit van de kadastrale gemeente Maasbree.
Het perceel waarop Oude Heldenseweg 14-A staat heeft een oppervlakte van 2063 m². Dit is een zeer groot perceel. De perceeloppervlakte wordt geregistreerd door het Kadaster. Gedetailleerde informatie over de maten van dit perceel kunt u vinden in het rapport Kadastrale kaart met maatvoering van Oude Heldenseweg 14-A.
De eigenaar van Oude Heldenseweg 14-A is op te vragen op deze pagina
De informatie over dit adres is afkomstig uit officiële overheidsregistraties, voornamelijk de Basisregistratie Adressen en Gebouwen (BAG) en de Basisregistratie Kadaster (BRK). Deze gegevens worden beheerd door respectievelijk gemeenten en het Kadaster, en worden regelmatig bijgewerkt. Energielabelgegevens komen uit de database van de Rijksdienst voor Ondernemend Nederland (RVO).
