
Welsdaal 92-D is gelegen in de plaats Maastricht, de gemeente Maastricht en de provincie Limburg. Het perceel waarop het adres gelegen is heeft een oppervlakte van 2966 m². Het verblijfsobject is met 75 m² relatief klein. De oppervlakte van dit adres is groot vergeleken met de oppervlaktes van andere adressen in de straat. De kleinste oppervlakte bedraagt er 8 m², de grootste 121 m². In Nederland komt het grootste deel van de gebouwen uit de periode 1965-1984. Ook het bouwjaar van Welsdaal 92-D is afkomstig uit die periode: het betreft namelijk een pand uit 1982. Het gemiddelde bouwjaar in de straat is 1981 en dat van het oudste pand is 1981. Dit is het nieuwste object in de straat. Voor het verblijfsobject gelden deze gebruiksdoelen: 'woonfunctie'.
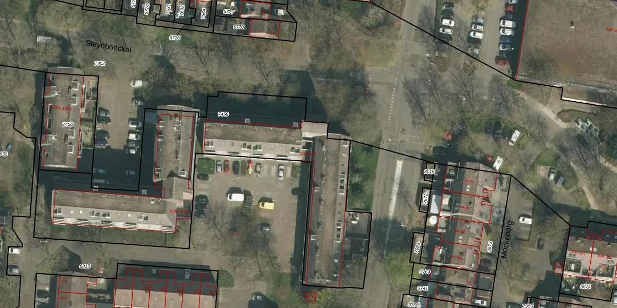
Het adres ligt op het perceel MTT00-P-7459, dat zich in de kadastrale gemeente Maastricht bevindt. Het perceel is met 2966 m² relatief groot. Het gemiddelde ligt in de kadastrale gemeente Maastricht op 1137,21 m². Het grootste perceel in de kadastrale gemeente is 53,8 ha. Het kleinste perceel heeft een oppervlakte van 0 m². Er zijn 82 adressen aanwezig op het perceel. De laatste wijziging in het de Basisregistratie Kadaster (BRK) was op 17-11-2009.
Het adres ligt in een gebouw van het type 'appartement met het subtype hoekmidden'. Bij de laatste meting is voor het adres het energielabel C geregistreerd. Het hoogste energielabel in de straat is A; het laagste is G. Het gemiddelde energielabel is er D. Het adres Welsdaal 92-D heeft als status: 'verblijfsobject in gebruik'. Het pand waarin dit adres ligt heeft als status: 'pand in gebruik'.
Welsdaal 92-D is een adres gelegen in de gemeente Maastricht, provincie Limburg. Dit adres is geregistreerd in de Basisregistratie Adressen en Gebouwen (BAG) met als unieke identificatie 0935010000068466.
Het pand op Welsdaal 92-D is gebouwd in 1982, wat betekent dat het 44 jaar oud is. Dit is een pand van middelbare leeftijd. Het pand is van gemiddelde leeftijd en zal waarschijnlijk verouderde elementen bevatten.
De woning op Welsdaal 92-D heeft een gebruiksoppervlakte van 75 m². Dit is onder het gemiddelde vergeleken met de gemiddelde Nederlandse woning, die een oppervlakte heeft van ongeveer 119 m². De gebruiksoppervlakte is de maat die wordt gebruikt in de BAG-registratie, de landelijke registratie van de Nederlandse overheid.
Welsdaal 92-D heeft als functie: wonen. Deze gebruiksfunctie(s) zijn vastgelegd in de BAG-registratie en geven aan waarvoor het adres officieel mag worden gebruikt.
Welsdaal 92-D is gelegen op kadastraal perceel MTT00P7459. Deze kadastrale aanduiding is uniek en wordt gebruikt door het Kadaster om eigendomsrechten en andere zakelijke rechten vast te leggen. Het perceel maakt onderdeel uit van de kadastrale gemeente Maastricht.
Het perceel waarop Welsdaal 92-D staat heeft een oppervlakte van 2966 m². Dit is een zeer groot perceel. De perceeloppervlakte wordt geregistreerd door het Kadaster. Gedetailleerde informatie over de maten van dit perceel kunt u vinden in het rapport Kadastrale kaart met maatvoering van Welsdaal 92-D.
De eigenaar van Welsdaal 92-D is op te vragen op deze pagina.
De informatie over dit adres is afkomstig uit officiële overheidsregistraties, voornamelijk de Basisregistratie Adressen en Gebouwen (BAG) en de Basisregistratie Kadaster (BRK). Deze gegevens worden beheerd door respectievelijk gemeenten en het Kadaster, en worden regelmatig bijgewerkt. Energielabelgegevens komen uit de database van de Rijksdienst voor Ondernemend Nederland (RVO).
