
Verloren Land 69 is gelegen in de plaats Milsbeek, de gemeente Gennep en de provincie Limburg. De oppervlakte van het verblijfsobject is met 309 m² aan de grote kant. Het perceel heeft een oppervlakte van 1177 m². In vergelijking met de andere adressen in de straat is de oppervlakte van dit object relatief groot. Het grootste verblijfsobject heeft een oppervlakte van 337 m², de oppervlakte van het kleinste object bedraagt 150 m². In Nederland komt het grootste deel van de gebouwen uit de periode 1965-1984. Ook het bouwjaar van Verloren Land 69 is afkomstig uit die periode: het betreft namelijk een pand uit 1976. Het nieuwste gebouw in de straat komt uit 1988 en het oudste uit 1974. Dit object is relatief oud. Het verblijfsobject heeft de volgende gebruiksdoelen: 'woonfunctie'.
Deze woning is voor het laatst verkocht op 1 december 2003. Meer informatie over deze transactie? Bestel het Woningtransactierapport om de verkoopprijs en andere informatie te zien.
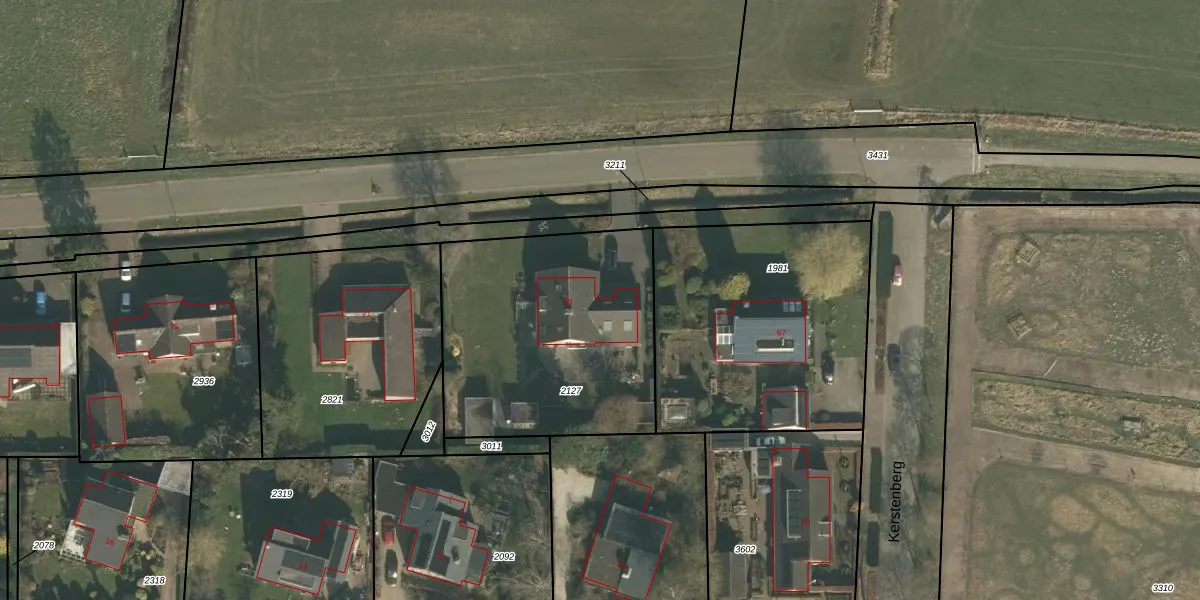
Het perceel waarop het adres ligt is OTS00-D-2127. De afkorting 'OTS00' staat voor kadastrale gemeente Ottersum. Het perceel is kleiner dan gemiddeld in Ottersum. Het perceel is 1177 m² groot, terwijl het gemiddelde ligt op 5183,59 m². Het grootste perceel in de kadastrale gemeente is 53,1 ha. Het kleinste perceel heeft een oppervlakte van 0 m². Op het perceel bevinden zich geen andere adressen. De laatste wijziging in het de Basisregistratie Kadaster (BRK) was op 08-01-2008.
Er is geen energielabel geregistreerd voor het adres. Het hoogste energielabel in de straat is C; het laagste is G. Het gemiddelde energielabel is er C. Het adres Verloren Land 69 heeft als status: 'verblijfsobject in gebruik'. Het pand waarin dit adres ligt heeft als status: 'pand in gebruik'.
Verloren Land 69 is een adres gelegen in de gemeente Gennep, provincie Limburg. Dit adres is geregistreerd in de Basisregistratie Adressen en Gebouwen (BAG) met als unieke identificatie 0907010000016360.
Het pand op Verloren Land 69 is gebouwd in 1976, wat betekent dat het 50 jaar oud is. Dit is een ouder pand. Het pand heeft mogelijk aanzienlijke renovaties nodig om aan de huidige standaarden te voldoen.
De woning op Verloren Land 69 heeft een gebruiksoppervlakte van 309 m². Dit is ruim vergeleken met de gemiddelde Nederlandse woning, die een oppervlakte heeft van ongeveer 119 m². De gebruiksoppervlakte is de maat die wordt gebruikt in de BAG-registratie, de landelijke registratie van de Nederlandse overheid.
Verloren Land 69 heeft als functie: wonen. Deze gebruiksfunctie(s) zijn vastgelegd in de BAG-registratie en geven aan waarvoor het adres officieel mag worden gebruikt.
Verloren Land 69 is gelegen op kadastraal perceel OTS00D2127. Deze kadastrale aanduiding is uniek en wordt gebruikt door het Kadaster om eigendomsrechten en andere zakelijke rechten vast te leggen. Het perceel maakt onderdeel uit van de kadastrale gemeente Ottersum.
Het perceel waarop Verloren Land 69 staat heeft een oppervlakte van 1177 m². Dit is een zeer groot perceel. De perceeloppervlakte wordt geregistreerd door het Kadaster. Gedetailleerde informatie over de maten van dit perceel kunt u vinden in het rapport Kadastrale kaart met maatvoering van Verloren Land 69.
De eigenaar van Verloren Land 69 is op te vragen op deze pagina.
De informatie over dit adres is afkomstig uit officiële overheidsregistraties, voornamelijk de Basisregistratie Adressen en Gebouwen (BAG) en de Basisregistratie Kadaster (BRK). Deze gegevens worden beheerd door respectievelijk gemeenten en het Kadaster, en worden regelmatig bijgewerkt. Energielabelgegevens komen uit de database van de Rijksdienst voor Ondernemend Nederland (RVO).
