
Asserstraat 12 is een adres in Rolde, dat zich bevindt binnen de gemeentegrenzen van Rolde en de grenzen van de provincie Drenthe. De oppervlakte van het verblijfsobject is met 414 m² aan de grote kant. Het perceel heeft een oppervlakte van 3748 m². De oppervlakte van dit adres is groot vergeleken met de oppervlaktes van andere adressen in de straat. De kleinste oppervlakte bedraagt er 24 m², de grootste 5752 m². De meeste Nederlandse gebouwen zijn gebouwd in de periode 1965-1984. Zo ook het pand waarin Asserstraat 12 ligt, dat gebouwd is in 1967. Het nieuwste gebouw in de straat komt uit 2025 en het oudste uit 1900. Dit object is relatief oud. Voor het verblijfsobject gelden deze gebruiksdoelen: 'kantoorfunctie'.
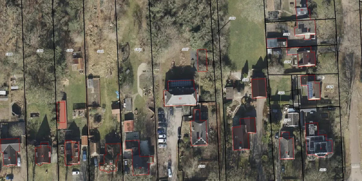
Het adres ligt op het perceel RDE00-V-1317, dat zich in de kadastrale gemeente Rolde bevindt. De gemiddelde perceelgrootte in Rolde is 1,3 ha. Dit perceel is kleiner: de perceeloppervlakte bedraagt 3748 m². De grootste perceeloppervlakte in de kadastrale gemeente is 4,62 km². De kleinste oppervlakte bedraagt 0 m². Op het perceel bevinden zich geen andere adressen. De huidige grenzen van het perceel zijn digitaal in de Basisregistratie Kadaster (BRK) geregistreerd op 27-03-2001.
Bij de laatste meting is voor het adres het energielabel B geregistreerd. Het hoogste energielabel in de straat is A+; het laagste is G. Het gemiddelde energielabel is er C. Het adres Asserstraat 12 heeft als status: 'verblijfsobject in gebruik'. Het pand waarin dit adres ligt heeft als status: 'pand in gebruik'.
Asserstraat 12 is een adres gelegen in de gemeente Aa en Hunze, provincie Drenthe. Dit adres is geregistreerd in de Basisregistratie Adressen en Gebouwen (BAG) met als unieke identificatie 1680010000007913.
Het pand op Asserstraat 12 is gebouwd in 1967, wat betekent dat het 59 jaar oud is. Dit is een ouder pand. Het pand heeft mogelijk aanzienlijke renovaties nodig om aan de huidige standaarden te voldoen.
De woning op Asserstraat 12 heeft een gebruiksoppervlakte van 414 m². Dit is ruim vergeleken met de gemiddelde Nederlandse woning, die een oppervlakte heeft van ongeveer 119 m². De gebruiksoppervlakte is de maat die wordt gebruikt in de BAG-registratie, de landelijke registratie van de Nederlandse overheid.
Asserstraat 12 heeft als functie: kantoor. Deze gebruiksfunctie(s) zijn vastgelegd in de BAG-registratie en geven aan waarvoor het adres officieel mag worden gebruikt.
Asserstraat 12 is gelegen op kadastraal perceel RDE00V1317. Deze kadastrale aanduiding is uniek en wordt gebruikt door het Kadaster om eigendomsrechten en andere zakelijke rechten vast te leggen. Het perceel maakt onderdeel uit van de kadastrale gemeente Rolde.
Het perceel waarop Asserstraat 12 staat heeft een oppervlakte van 3748 m². Dit is een zeer groot perceel. De perceeloppervlakte wordt geregistreerd door het Kadaster. Gedetailleerde informatie over de maten van dit perceel kunt u vinden in het rapport Kadastrale kaart met maatvoering van Asserstraat 12.
De eigenaar van Asserstraat 12 is op te vragen op deze pagina
De informatie over dit adres is afkomstig uit officiële overheidsregistraties, voornamelijk de Basisregistratie Adressen en Gebouwen (BAG) en de Basisregistratie Kadaster (BRK). Deze gegevens worden beheerd door respectievelijk gemeenten en het Kadaster, en worden regelmatig bijgewerkt. Energielabelgegevens komen uit de database van de Rijksdienst voor Ondernemend Nederland (RVO).
