
Het adres Coupletweg 66 bevindt zich in de plaats Rosmalen, in de gemeente Rosmalen en de provincie Noord-Brabant. Het perceel waarop het verblijfsobject staat is 145 m² groot. De oppervlakte van het adres is 126 m², wat zich rond het Nederlandse gemiddelde van 119 m² bevindt. Het object is klein ten opzichte van de andere adressen in de straat. Het grootste verblijfsobject is 211 m² groot en het kleinste is 74 m². Coupletweg 66 ligt in een gebouw uit het jaar 2009. Daarmee behoort het tot de groep panden van na 1984, die we als relatief nieuw bestempelen. Dit is het oudste object in de straat. Het nieuwste pand komt uit 2011 en het gemiddelde bouwjaar in de straat is 2010. Voor het verblijfsobject gelden deze gebruiksdoelen: 'woonfunctie'.
Deze woning is voor het laatst verkocht op 1 juni 2017. Meer informatie over deze transactie? Bestel het Woningtransactierapport om de verkoopprijs en andere informatie te zien.
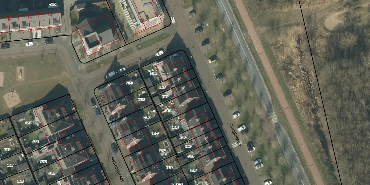
Het perceel waarop het adres ligt is RML00-H-5386. De afkorting 'RML00' staat voor kadastrale gemeente Rosmalen. De gemiddelde perceelgrootte in Rosmalen is 1832,99 m². Dit perceel is kleiner: de perceeloppervlakte bedraagt 145 m². Het grootste perceel in de kadastrale gemeente is 34,9 ha. Het kleinste perceel heeft een oppervlakte van 0 m². Er zijn geen andere adressen aanwezig op het perceel. In de Basisregistratie Kadaster (BRK) werden de grenzen van het perceel geregistreerd op 20-12-2010.
Het adres ligt in een gebouw van het type 'rijwoning tussen'. Bij de laatste meting is voor het adres het energielabel A geregistreerd. Het hoogste energielabel in de straat is A+; het laagste is G. Het gemiddelde energielabel is er A. Het adres Coupletweg 66 heeft als status: 'verblijfsobject in gebruik'. Het pand waarin dit adres ligt heeft als status: 'pand in gebruik'.
Coupletweg 66 is een adres gelegen in de gemeente 's-Hertogenbosch, provincie Noord-Brabant. Dit adres is geregistreerd in de Basisregistratie Adressen en Gebouwen (BAG) met als unieke identificatie 0796010000377595.
Het pand op Coupletweg 66 is gebouwd in 2009, wat betekent dat het 17 jaar oud is. Dit is een relatief modern pand. Ten opzichte van de nationale woningvoorraad is het pand relatief modern, maar er kunnen enkele verouderde elementen zijn die aandacht nodig hebben.
De woning op Coupletweg 66 heeft een gebruiksoppervlakte van 126 m². Dit is gemiddeld vergeleken met de gemiddelde Nederlandse woning, die een oppervlakte heeft van ongeveer 119 m². De gebruiksoppervlakte is de maat die wordt gebruikt in de BAG-registratie, de landelijke registratie van de Nederlandse overheid.
Coupletweg 66 heeft als functie: wonen. Deze gebruiksfunctie(s) zijn vastgelegd in de BAG-registratie en geven aan waarvoor het adres officieel mag worden gebruikt.
Coupletweg 66 is gelegen op kadastraal perceel RML00H5386. Deze kadastrale aanduiding is uniek en wordt gebruikt door het Kadaster om eigendomsrechten en andere zakelijke rechten vast te leggen. Het perceel maakt onderdeel uit van de kadastrale gemeente Rosmalen.
Het perceel waarop Coupletweg 66 staat heeft een oppervlakte van 145 m². Dit is een middelgroot perceel. De perceeloppervlakte wordt geregistreerd door het Kadaster. Gedetailleerde informatie over de maten van dit perceel kunt u vinden in het rapport Kadastrale kaart met maatvoering van Coupletweg 66.
De eigenaar van Coupletweg 66 is op te vragen op deze pagina
De informatie over dit adres is afkomstig uit officiële overheidsregistraties, voornamelijk de Basisregistratie Adressen en Gebouwen (BAG) en de Basisregistratie Kadaster (BRK). Deze gegevens worden beheerd door respectievelijk gemeenten en het Kadaster, en worden regelmatig bijgewerkt. Energielabelgegevens komen uit de database van de Rijksdienst voor Ondernemend Nederland (RVO).
