
Triathlonstraat 17 is gelegen in de plaats Rotterdam, de gemeente Rotterdam en de provincie Zuid-Holland. De oppervlakte van het verblijfsobject is met 208 m² aan de grote kant. Het perceel heeft een oppervlakte van 4840 m². Er zijn geen kleinere objecten in deze straat. De gemiddelde oppervlakte is er 407 m². Het grootste verblijfsobject is 1068 m². In het jaar 1991 is het pand waarin Triathlonstraat 17 ligt gebouwd. Dat is relatief recent: de meeste gebouwen in Nederland zijn gebouwd in de periode 1965-1984. Dit pand is het meest recent exemplaar in de straat. Het oudste object komt er uit 1991 en het gemiddelde bouwjaar is 1991. Het verblijfsobject heeft de volgende gebruiksdoelen: 'kantoorfunctie'.
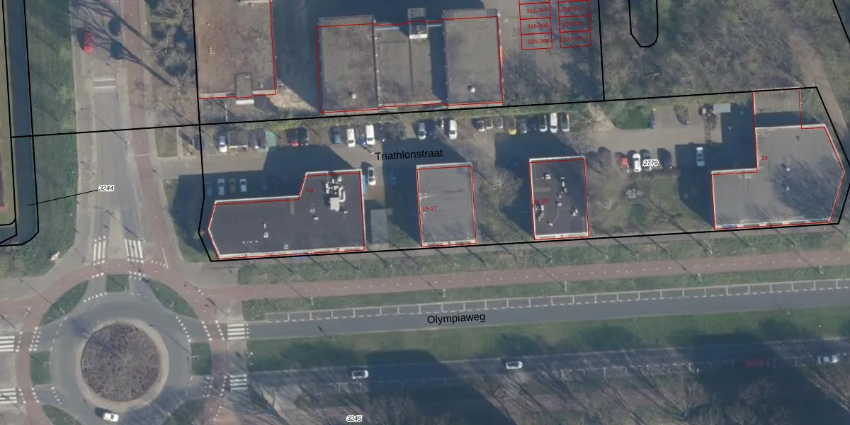
Het adres ligt op het perceel ISM01-E-2779, dat zich in de kadastrale gemeente IJsselmonde bevindt. De gemiddelde perceeloppervlakte in de kadastrale gemeente IJsselmonde is 871,86 m². Dit perceel is met zijn 4840 m² dus groter dan gemiddeld. De grootste perceeloppervlakte in de kadastrale gemeente is 46,2 ha. De kleinste oppervlakte bedraagt 0 m². Op het perceel liggen in totaal 10 adressen. De laatste wijziging in het de Basisregistratie Kadaster (BRK) was op 05-09-2008.
Bij de laatste meting is voor het adres het energielabel A+++ geregistreerd. Het hoogste energielabel in de straat is A+++; het laagste is G. Het gemiddelde energielabel is er A++. Het adres Triathlonstraat 17 heeft als status: 'verblijfsobject in gebruik'. Het pand waarin dit adres ligt heeft als status: 'pand in gebruik'.
Triathlonstraat 17 is een adres gelegen in de gemeente Rotterdam, provincie Zuid-Holland. Dit adres is geregistreerd in de Basisregistratie Adressen en Gebouwen (BAG) met als unieke identificatie 0599010000034006.
Het pand op Triathlonstraat 17 is gebouwd in 1991, wat betekent dat het 35 jaar oud is. Dit is een pand van middelbare leeftijd. Het pand is van gemiddelde leeftijd en zal waarschijnlijk verouderde elementen bevatten.
De woning op Triathlonstraat 17 heeft een gebruiksoppervlakte van 208 m². Dit is ruim vergeleken met de gemiddelde Nederlandse woning, die een oppervlakte heeft van ongeveer 119 m². De gebruiksoppervlakte is de maat die wordt gebruikt in de BAG-registratie, de landelijke registratie van de Nederlandse overheid.
Triathlonstraat 17 heeft als functie: kantoor. Deze gebruiksfunctie(s) zijn vastgelegd in de BAG-registratie en geven aan waarvoor het adres officieel mag worden gebruikt.
Triathlonstraat 17 is gelegen op kadastraal perceel ISM01E2779. Deze kadastrale aanduiding is uniek en wordt gebruikt door het Kadaster om eigendomsrechten en andere zakelijke rechten vast te leggen. Het perceel maakt onderdeel uit van de kadastrale gemeente IJsselmonde.
Het perceel waarop Triathlonstraat 17 staat heeft een oppervlakte van 4840 m². Dit is een zeer groot perceel. De perceeloppervlakte wordt geregistreerd door het Kadaster. Gedetailleerde informatie over de maten van dit perceel kunt u vinden in het rapport Kadastrale kaart met maatvoering van Triathlonstraat 17.
De eigenaar van Triathlonstraat 17 is op te vragen op deze pagina.
De informatie over dit adres is afkomstig uit officiële overheidsregistraties, voornamelijk de Basisregistratie Adressen en Gebouwen (BAG) en de Basisregistratie Kadaster (BRK). Deze gegevens worden beheerd door respectievelijk gemeenten en het Kadaster, en worden regelmatig bijgewerkt. Energielabelgegevens komen uit de database van de Rijksdienst voor Ondernemend Nederland (RVO).
