
Het adres Ravensnest 4 bevindt zich in de plaats Terheijden, in de gemeente Terheijden en de provincie Noord-Brabant. Het object heeft een oppervlakte van 309 m², wat relatief groot is. Het perceel waarop het adres ligt is 283 m² groot. In vergelijking met de andere adressen in de straat is de oppervlakte van dit object relatief groot. Het grootste verblijfsobject heeft een oppervlakte van 804 m², de oppervlakte van het kleinste object bedraagt 56 m². In Nederland komt het grootste deel van de gebouwen uit de periode 1965-1984. Ook het bouwjaar van Ravensnest 4 is afkomstig uit die periode: het betreft namelijk een pand uit 1972. Het gemiddelde bouwjaar in de straat is 2005 en dat van het nieuwste object 2021. In de straat is dit het oudste pand. Voor het verblijfsobject gelden deze gebruiksdoelen: 'bijeenkomstfunctie' en 'overige gebruiksfunctie'.
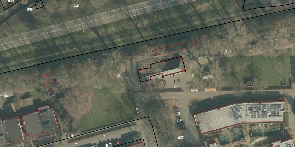
Het perceel waarop het adres ligt is THD00-I-1705. De afkorting 'THD00' staat voor kadastrale gemeente Terheijden. De gemiddelde perceelgrootte in Terheijden is 3575,88 m². Dit perceel is kleiner: de perceeloppervlakte bedraagt 283 m². Het grootste perceel in de kadastrale gemeente is 31,5 ha. Het kleinste perceel heeft een oppervlakte van 0 m². Dit is het enige adres dat aanwezig is op het perceel. In de Basisregistratie Kadaster (BRK) werden de grenzen van het perceel geregistreerd op 07-12-2007.
Er is geen energielabel geregistreerd voor het adres. Het hoogste energielabel in de straat is A; het laagste is G. Het gemiddelde energielabel is er B. Het adres Ravensnest 4 heeft als status: 'verblijfsobject in gebruik'. Het pand waarin dit adres ligt heeft als status: 'pand in gebruik'.
Ravensnest 4 is een adres gelegen in de gemeente Drimmelen, provincie Noord-Brabant. Dit adres is geregistreerd in de Basisregistratie Adressen en Gebouwen (BAG) met als unieke identificatie 1719010000014705.
Het pand op Ravensnest 4 is gebouwd in 1972, wat betekent dat het 54 jaar oud is. Dit is een ouder pand. Het pand heeft mogelijk aanzienlijke renovaties nodig om aan de huidige standaarden te voldoen.
De woning op Ravensnest 4 heeft een gebruiksoppervlakte van 309 m². Dit is ruim vergeleken met de gemiddelde Nederlandse woning, die een oppervlakte heeft van ongeveer 119 m². De gebruiksoppervlakte is de maat die wordt gebruikt in de BAG-registratie, de landelijke registratie van de Nederlandse overheid.
Ravensnest 4 heeft als functie: bijeenkomsten en overige doeleinden. Deze gebruiksfunctie(s) zijn vastgelegd in de BAG-registratie en geven aan waarvoor het adres officieel mag worden gebruikt.
Ravensnest 4 is gelegen op kadastraal perceel THD00I1705. Deze kadastrale aanduiding is uniek en wordt gebruikt door het Kadaster om eigendomsrechten en andere zakelijke rechten vast te leggen. Het perceel maakt onderdeel uit van de kadastrale gemeente Terheijden.
Het perceel waarop Ravensnest 4 staat heeft een oppervlakte van 283 m². Dit is een middelgroot perceel. De perceeloppervlakte wordt geregistreerd door het Kadaster. Gedetailleerde informatie over de maten van dit perceel kunt u vinden in het rapport Kadastrale kaart met maatvoering van Ravensnest 4.
De eigenaar van Ravensnest 4 is op te vragen op deze pagina.
De informatie over dit adres is afkomstig uit officiële overheidsregistraties, voornamelijk de Basisregistratie Adressen en Gebouwen (BAG) en de Basisregistratie Kadaster (BRK). Deze gegevens worden beheerd door respectievelijk gemeenten en het Kadaster, en worden regelmatig bijgewerkt. Energielabelgegevens komen uit de database van de Rijksdienst voor Ondernemend Nederland (RVO).
