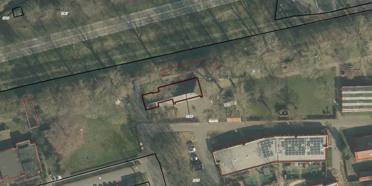
Perceel: THD00-I-1705
KadastraleKaart.com kan meer dan je denktOntdek meer ›
Filter op bestemming 50+ datasets Eigendomsdata in één klik Percelen CRM
283 m2 - 91 m
Eigenaar opvragen
THD00-I-1705 (Terheijden)
- 4844 TT
F2YcoQCH95VJM0Lq5DlUpgrade naar KadastraleKaart Pro
Bekijk op Street View
Download DWG/DXF/Excel
J2YbR KiUpgrade naar KadastraleKaart Pro
cxhKn3YDUpgrade naar KadastraleKaart Pro
HU7PloV44a9GxFiHx I RUpgrade naar KadastraleKaart Pro
iP7eT psoIOyMYUpgrade naar KadastraleKaart Pro
EPyZz W 9 snUpgrade naar KadastraleKaart Pro
lJ6Y2 R6pDpKBBiNhUpgrade naar KadastraleKaart Pro
JKCTeIJgBFXNj Upgrade naar KadastraleKaart Pro
ACn5hXn GGH48GVUpgrade naar KadastraleKaart Pro
TkECkA4rfl1MUpgrade naar KadastraleKaart Pro
JDF96Bxds0RjtJCsMAslyjVUpgrade naar KadastraleKaart Pro
07/12/2007

Percelen
Gebruik de zoekbalk of klik op een perceel om informatie over het perceel te bekijken.