
Angerenstein 17 is een adres in Ugchelen, dat zich bevindt binnen de gemeentegrenzen van Ugchelen en de grenzen van de provincie Gelderland. Het object heeft een oppervlakte van 491 m², wat relatief groot is. Het perceel waarop het adres ligt is 1372 m² groot. Dit is het adres met de grootste oppervlakte van alle adressen in de straat. Gemiddeld hebben de objecten in de straat een oppervlakte van 178 m². De kleinste oppervlakte is er 50 m². In Nederland komt het grootste deel van de gebouwen uit de periode 1965-1984. Ook het bouwjaar van Angerenstein 17 is afkomstig uit die periode: het betreft namelijk een pand uit 1973. Het bouwjaar is oud vergeleken met dat van de andere panden in de straat. Het oudste bouwjaar is er 1931 en de nieuwste is 2025. Het verblijfsobject heeft de volgende gebruiksdoelen: 'sportfunctie'.
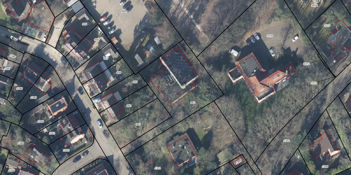
Het adres ligt op het perceel APD03-AD-962, dat zich in de kadastrale gemeente Apeldoorn bevindt. Het perceel is kleiner dan gemiddeld in Apeldoorn. Het perceel is 1372 m² groot, terwijl het gemiddelde ligt op 1444,98 m². Het grootste perceel in de kadastrale gemeente is 21,4 ha. Het kleinste perceel heeft een oppervlakte van 0 m². Dit is het enige adres dat aanwezig is op het perceel. De huidige grenzen van het perceel zijn digitaal in de Basisregistratie Kadaster (BRK) geregistreerd op 14-02-2006.
Bij de laatste meting is voor het adres het energielabel A geregistreerd. Het hoogste energielabel in de straat is A++; het laagste is G. Het gemiddelde energielabel is er C. Het adres Angerenstein 17 heeft als status: 'verblijfsobject in gebruik'. Het pand waarin dit adres ligt heeft als status: 'pand in gebruik'.
Angerenstein 17 is een adres gelegen in de gemeente Apeldoorn, provincie Gelderland. Dit adres is geregistreerd in de Basisregistratie Adressen en Gebouwen (BAG) met als unieke identificatie 0200010000009220.
Het pand op Angerenstein 17 is gebouwd in 1973, wat betekent dat het 53 jaar oud is. Dit is een ouder pand. Het pand heeft mogelijk aanzienlijke renovaties nodig om aan de huidige standaarden te voldoen.
De woning op Angerenstein 17 heeft een gebruiksoppervlakte van 491 m². Dit is ruim vergeleken met de gemiddelde Nederlandse woning, die een oppervlakte heeft van ongeveer 119 m². De gebruiksoppervlakte is de maat die wordt gebruikt in de BAG-registratie, de landelijke registratie van de Nederlandse overheid.
Angerenstein 17 heeft als functie: sport. Deze gebruiksfunctie(s) zijn vastgelegd in de BAG-registratie en geven aan waarvoor het adres officieel mag worden gebruikt.
Angerenstein 17 is gelegen op kadastraal perceel APD03AD962. Deze kadastrale aanduiding is uniek en wordt gebruikt door het Kadaster om eigendomsrechten en andere zakelijke rechten vast te leggen. Het perceel maakt onderdeel uit van de kadastrale gemeente Apeldoorn.
Het perceel waarop Angerenstein 17 staat heeft een oppervlakte van 1372 m². Dit is een zeer groot perceel. De perceeloppervlakte wordt geregistreerd door het Kadaster. Gedetailleerde informatie over de maten van dit perceel kunt u vinden in het rapport Kadastrale kaart met maatvoering van Angerenstein 17.
De eigenaar van Angerenstein 17 is op te vragen op deze pagina.
De informatie over dit adres is afkomstig uit officiële overheidsregistraties, voornamelijk de Basisregistratie Adressen en Gebouwen (BAG) en de Basisregistratie Kadaster (BRK). Deze gegevens worden beheerd door respectievelijk gemeenten en het Kadaster, en worden regelmatig bijgewerkt. Energielabelgegevens komen uit de database van de Rijksdienst voor Ondernemend Nederland (RVO).
