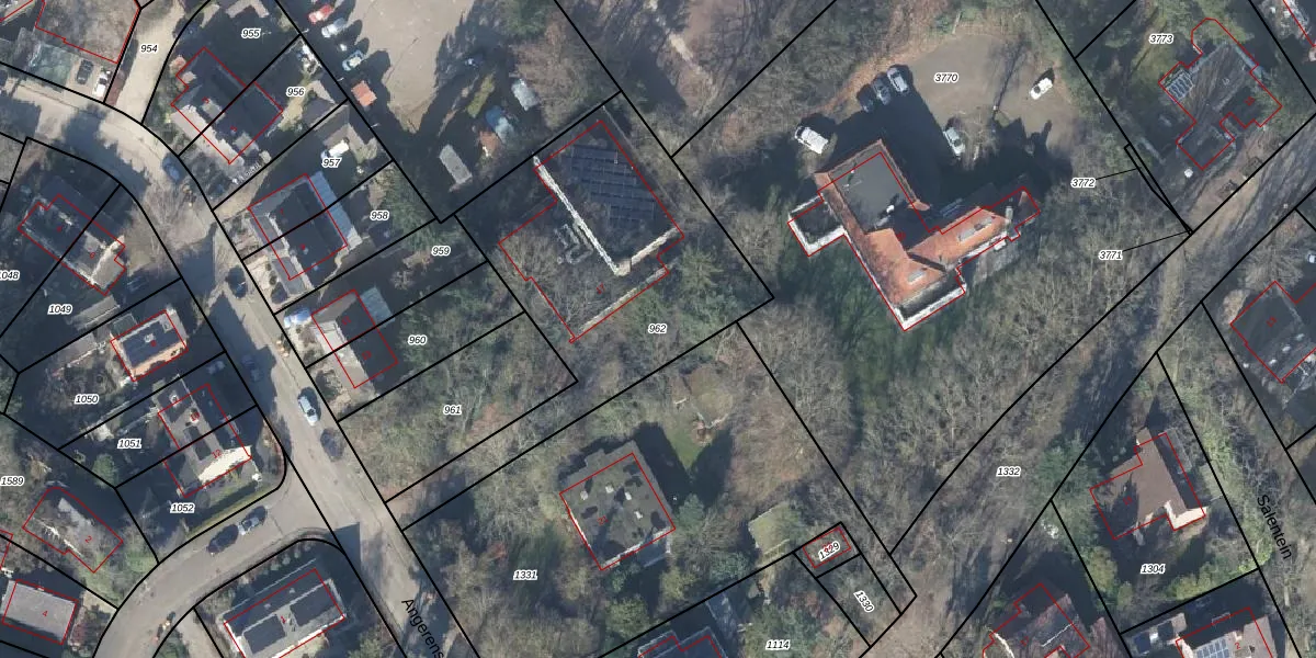
Perceel: APD03-AD-962
KadastraleKaart.com kan meer dan je denktOntdek meer ›
Filter op bestemming 50+ datasets Eigendomsdata in één klik Percelen CRM
1.372 m2 - 209 m
Eigenaar opvragen
APD03-AD-962 (Apeldoorn)
- 7339 BJ
9DbkNf 8E 0nOdWXCTkYD3tgGJ7O0GUpgrade naar KadastraleKaart Pro
Bekijk op Street View
Download DWG/DXF/Excel
6B JmRiZHUpgrade naar KadastraleKaart Pro
uZ4DhecNL9 W z6fArIUpgrade naar KadastraleKaart Pro
xyujh BI IP UTM1Upgrade naar KadastraleKaart Pro
tj9PjABDUSqiZzLGQ Upgrade naar KadastraleKaart Pro
dhBtBLkXBBw RUpgrade naar KadastraleKaart Pro
sQ2xR GZkGAkUpgrade naar KadastraleKaart Pro
vRo8Bx2MfqtRgHhgZLUpgrade naar KadastraleKaart Pro
gAsVb28 7HmUpgrade naar KadastraleKaart Pro
A1OLI8iqXEZFUDUpgrade naar KadastraleKaart Pro
CYmoo93aoP29ALKXszUpgrade naar KadastraleKaart Pro
14/02/2006

Percelen
Gebruik de zoekbalk of klik op een perceel om informatie over het perceel te bekijken.