
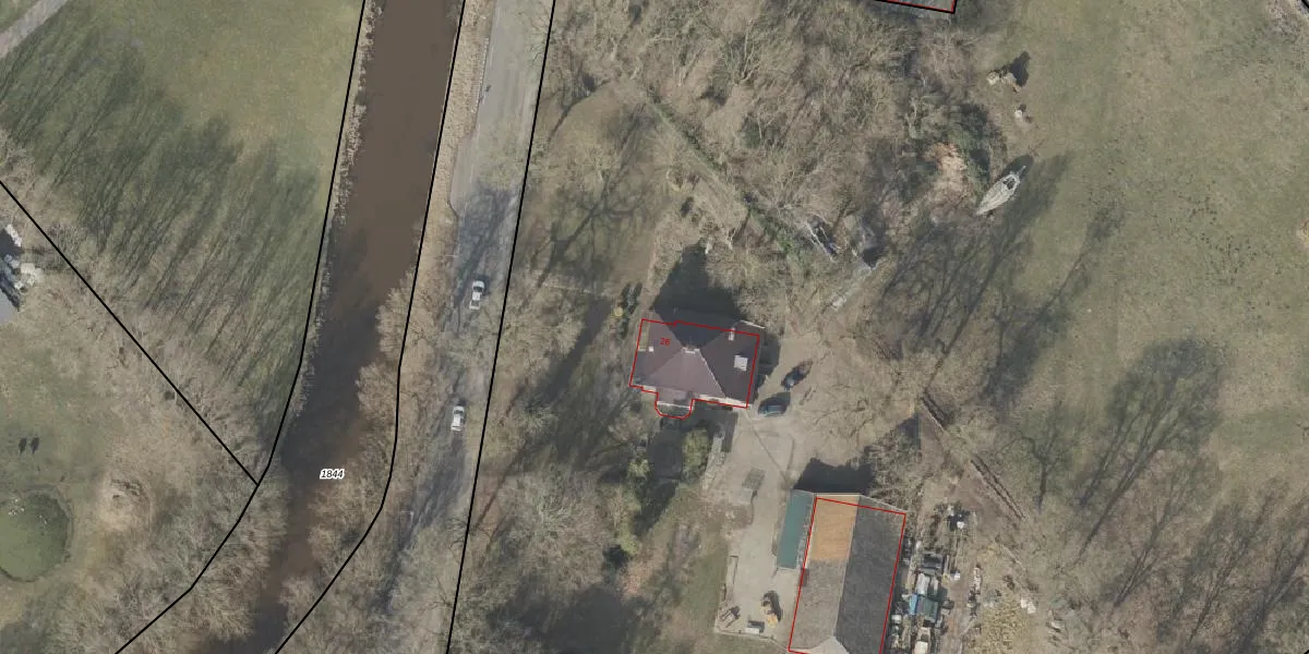
Kavelingen 26 is gelegen in de plaats Valthermond, de gemeente Borger-Odoorn en de provincie Drenthe. Het object heeft een oppervlakte van 328 m², wat relatief groot is. Het perceel waarop het adres ligt is 2,1 ha groot. Het object is klein ten opzichte van de andere adressen in de straat. Het grootste verblijfsobject is 3379 m² groot en het kleinste is 51 m². Het gebouw waarin Kavelingen 26 ligt komt uit het jaar 1914. Objecten die gebouwd zijn vóór 1965 classificeren we hier als oud. Het bouwjaar is oud vergeleken met dat van de andere panden in de straat. Het oudste bouwjaar is er 1894 en de nieuwste is 2005. Het verblijfsobject heeft de volgende gebruiksdoelen: 'woonfunctie'.
Het perceel waarop het adres ligt is ODN00-M-2445. De afkorting 'ODN00' staat voor kadastrale gemeente Odoorn. De gemiddelde perceeloppervlakte in de kadastrale gemeente Odoorn is 1,4 ha. Dit perceel is met zijn 2,1 ha dus groter dan gemiddeld. Het kleinste perceel in de kadastrale gemeente is 1 m² groot. De grootste perceeloppervlakte is 69,9 ha. Dit is het enige adres dat aanwezig is op het perceel. De laatste wijziging in het de Basisregistratie Kadaster (BRK) was op 23-11-2005.
Er is geen energielabel geregistreerd voor het adres. Het hoogste energielabel in de straat is A++; het laagste is G. Het gemiddelde energielabel is er D. Het adres Kavelingen 26 heeft als status: 'verblijfsobject in gebruik'. Het pand waarin dit adres ligt heeft als status: 'pand in gebruik'.
Kavelingen 26 is een adres gelegen in de gemeente Borger-Odoorn, provincie Drenthe. Dit adres is geregistreerd in de Basisregistratie Adressen en Gebouwen (BAG) met als unieke identificatie 1681010000010493.
Het pand op Kavelingen 26 is gebouwd in 1914, wat betekent dat het 112 jaar oud is. Dit is een ouder pand. Het pand heeft mogelijk aanzienlijke renovaties nodig om aan de huidige standaarden te voldoen.
De woning op Kavelingen 26 heeft een gebruiksoppervlakte van 328 m². Dit is ruim vergeleken met de gemiddelde Nederlandse woning, die een oppervlakte heeft van ongeveer 119 m². De gebruiksoppervlakte is de maat die wordt gebruikt in de BAG-registratie, de landelijke registratie van de Nederlandse overheid.
Kavelingen 26 heeft als functie: wonen. Deze gebruiksfunctie(s) zijn vastgelegd in de BAG-registratie en geven aan waarvoor het adres officieel mag worden gebruikt.
Kavelingen 26 is gelegen op kadastraal perceel ODN00M2445. Deze kadastrale aanduiding is uniek en wordt gebruikt door het Kadaster om eigendomsrechten en andere zakelijke rechten vast te leggen. Het perceel maakt onderdeel uit van de kadastrale gemeente Odoorn.
Het perceel waarop Kavelingen 26 staat heeft een oppervlakte van 2,1 ha. Dit is een zeer groot perceel. De perceeloppervlakte wordt geregistreerd door het Kadaster. Gedetailleerde informatie over de maten van dit perceel kunt u vinden in het rapport Kadastrale kaart met maatvoering van Kavelingen 26.
De eigenaar van Kavelingen 26 is op te vragen op deze pagina.
De informatie over dit adres is afkomstig uit officiële overheidsregistraties, voornamelijk de Basisregistratie Adressen en Gebouwen (BAG) en de Basisregistratie Kadaster (BRK). Deze gegevens worden beheerd door respectievelijk gemeenten en het Kadaster, en worden regelmatig bijgewerkt. Energielabelgegevens komen uit de database van de Rijksdienst voor Ondernemend Nederland (RVO).
