
Het adres Oude Hoevenweg 55 bevindt zich in de plaats Vriezenveen, in de gemeente Vriezenveen en de provincie Overijssel. De oppervlakte bedraagt 206 m², waarmee het adres groter dan gemiddeld is. De grootte van het perceel waarop het adres ligt is 2725 m². De oppervlakte van het adres is klein vergeleken met de andere objecten in de straat. De oppervlakte van het kleinste object in de straat bedraagt 54 m², terwijl het grootste object 2609 m² groot is. Het pand waarin Oude Hoevenweg 55 ligt is gebouwd in het jaar 2023. Panden die gebouwd zijn na het jaar 1984 noemen we hier relatief nieuw. In de straat is dit het nieuwste pand en stamt het oudste object uit het jaar 1901. Het gemiddelde bouwjaar in de straat is 1961. Voor het verblijfsobject gelden deze gebruiksdoelen: 'woonfunctie'.
Deze woning is voor het laatst verkocht op 1 januari 2013. Meer informatie over deze transactie? Bestel het Woningtransactierapport om de verkoopprijs en andere informatie te zien.
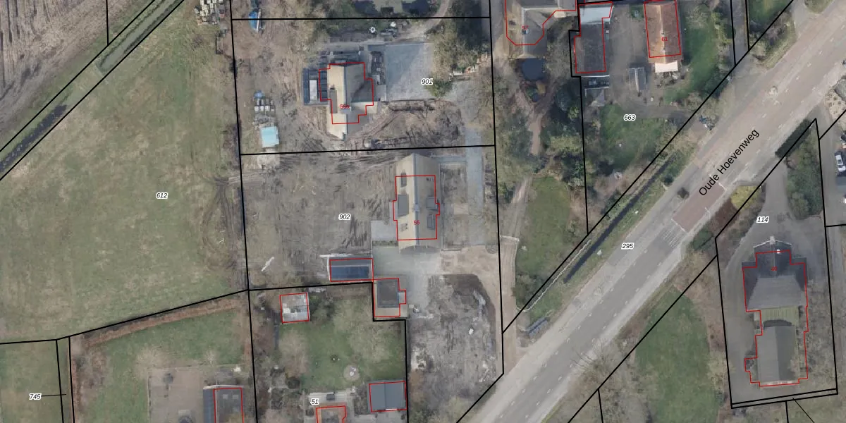
Het adres is gelegen op perceel 902 in de sectie I en de kadastrale gemeente Vriezenveen. De kadastrale aanduiding is aldus VZV00-I-902. De gemiddelde perceelgrootte in Vriezenveen is 5659,73 m². Dit perceel is kleiner: de perceeloppervlakte bedraagt 2725 m². Het kleinste perceel in de kadastrale gemeente is 0 m² groot. De grootste perceeloppervlakte is 2,84 km². Er zijn geen andere adressen aanwezig op het perceel. In de Basisregistratie Kadaster (BRK) werden de grenzen van het perceel geregistreerd op 23-01-2023.
Er is geen energielabel geregistreerd voor het adres. Het hoogste energielabel in de straat is A++; het laagste is G. Het gemiddelde energielabel is er C. Het adres Oude Hoevenweg 55 heeft als status: 'verblijfsobject in gebruik'. Het pand waarin dit adres ligt heeft als status: 'pand in gebruik'.
Oude Hoevenweg 55 is een adres gelegen in de gemeente Twenterand, provincie Overijssel. Dit adres is geregistreerd in de Basisregistratie Adressen en Gebouwen (BAG) met als unieke identificatie 1700010000042411.
Het pand op Oude Hoevenweg 55 is gebouwd in 2023, wat betekent dat het 3 jaar oud is. Dit is een vrij nieuw pand. Het pand is dus waarschijnlijk goed geĆÆsoleerd, geluidsdicht en voldoet aan de huidige bouwstandaarden. Op korte termijn zijn er waarschijnlijk weinig onderhoudskosten.
De woning op Oude Hoevenweg 55 heeft een gebruiksoppervlakte van 206 m². Dit is ruim vergeleken met de gemiddelde Nederlandse woning, die een oppervlakte heeft van ongeveer 119 m². De gebruiksoppervlakte is de maat die wordt gebruikt in de BAG-registratie, de landelijke registratie van de Nederlandse overheid.
Oude Hoevenweg 55 heeft als functie: wonen. Deze gebruiksfunctie(s) zijn vastgelegd in de BAG-registratie en geven aan waarvoor het adres officieel mag worden gebruikt.
Oude Hoevenweg 55 is gelegen op kadastraal perceel VZV00I902. Deze kadastrale aanduiding is uniek en wordt gebruikt door het Kadaster om eigendomsrechten en andere zakelijke rechten vast te leggen. Het perceel maakt onderdeel uit van de kadastrale gemeente Vriezenveen.
Het perceel waarop Oude Hoevenweg 55 staat heeft een oppervlakte van 2725 m². Dit is een zeer groot perceel. De perceeloppervlakte wordt geregistreerd door het Kadaster. Gedetailleerde informatie over de maten van dit perceel kunt u vinden in het rapport Kadastrale kaart met maatvoering van Oude Hoevenweg 55.
De eigenaar van Oude Hoevenweg 55 is op te vragen op deze pagina.
De informatie over dit adres is afkomstig uit officiƫle overheidsregistraties, voornamelijk de Basisregistratie Adressen en Gebouwen (BAG) en de Basisregistratie Kadaster (BRK). Deze gegevens worden beheerd door respectievelijk gemeenten en het Kadaster, en worden regelmatig bijgewerkt. Energielabelgegevens komen uit de database van de Rijksdienst voor Ondernemend Nederland (RVO).
