
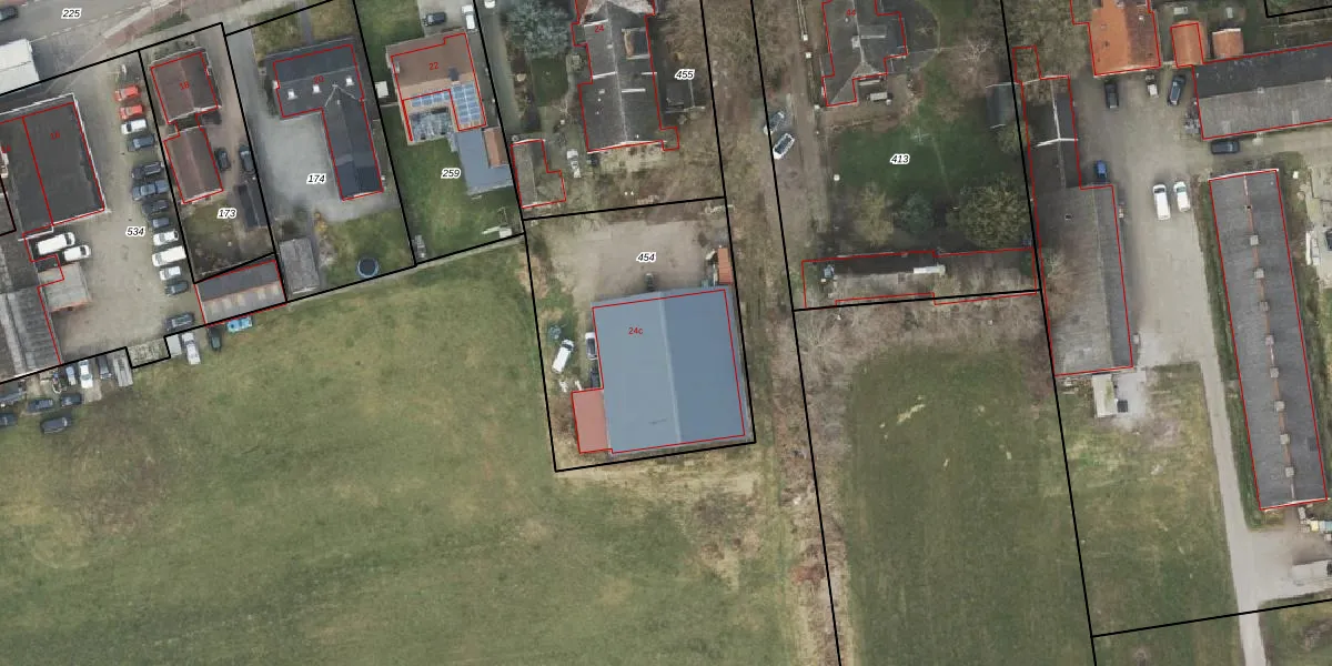
Tonnendijk 24-c is een adres in Vroomshoop, dat zich bevindt binnen de gemeentegrenzen van Vroomshoop en de grenzen van de provincie Overijssel. Het object heeft een oppervlakte van 472 m², wat relatief groot is. Het perceel waarop het adres ligt is 1146 m² groot. Vergeleken met de andere verblijfsobjecten in de straat is dit object groot. De oppervlakte van het grootste object in de straat is 1906 m², die van het kleinste bedraagt 4 m². Het adres Tonnendijk 24-c ligt in een relatief oud pand uit het jaar 1910. Panden van vóór het jaar 1965 hebben we hier geclassificeerd als oud. Het bouwjaar is oud vergeleken met dat van de andere panden in de straat. Het oudste bouwjaar is er 1900 en de nieuwste is 2025. Het verblijfsobject heeft de volgende gebruiksdoelen: 'industriefunctie'.
Het adres is gelegen op perceel 454 in de sectie H en de kadastrale gemeente Den Ham. De kadastrale aanduiding is aldus HAM00-H-454. Het perceel is kleiner dan gemiddeld in Den Ham. Het perceel is 1146 m² groot, terwijl het gemiddelde ligt op 4687,65 m². De grootste perceeloppervlakte in de kadastrale gemeente is 57,2 ha. De kleinste oppervlakte bedraagt 0 m². Dit is het enige adres dat aanwezig is op het perceel. De huidige grenzen van het perceel zijn digitaal in de Basisregistratie Kadaster (BRK) geregistreerd op 05-04-2002.
Er is geen energielabel geregistreerd voor het adres. Het hoogste energielabel in de straat is A+++; het laagste is G. Het gemiddelde energielabel is er D. Het adres Tonnendijk 24-c heeft als status: 'verblijfsobject in gebruik'. Het pand waarin dit adres ligt heeft als status: 'pand in gebruik'.
Tonnendijk 24-c is een adres gelegen in de gemeente Twenterand, provincie Overijssel. Dit adres is geregistreerd in de Basisregistratie Adressen en Gebouwen (BAG) met als unieke identificatie 1700010000041585.
Het pand op Tonnendijk 24-c is gebouwd in 1910, wat betekent dat het 116 jaar oud is. Dit is een ouder pand. Het pand heeft mogelijk aanzienlijke renovaties nodig om aan de huidige standaarden te voldoen.
De woning op Tonnendijk 24-c heeft een gebruiksoppervlakte van 472 m². Dit is ruim vergeleken met de gemiddelde Nederlandse woning, die een oppervlakte heeft van ongeveer 119 m². De gebruiksoppervlakte is de maat die wordt gebruikt in de BAG-registratie, de landelijke registratie van de Nederlandse overheid.
Tonnendijk 24-c heeft als functie: industrie. Deze gebruiksfunctie(s) zijn vastgelegd in de BAG-registratie en geven aan waarvoor het adres officieel mag worden gebruikt.
Tonnendijk 24-c is gelegen op kadastraal perceel HAM00H454. Deze kadastrale aanduiding is uniek en wordt gebruikt door het Kadaster om eigendomsrechten en andere zakelijke rechten vast te leggen. Het perceel maakt onderdeel uit van de kadastrale gemeente Den Ham.
Het perceel waarop Tonnendijk 24-c staat heeft een oppervlakte van 1146 m². Dit is een zeer groot perceel. De perceeloppervlakte wordt geregistreerd door het Kadaster. Gedetailleerde informatie over de maten van dit perceel kunt u vinden in het rapport Kadastrale kaart met maatvoering van Tonnendijk 24-c.
De eigenaar van Tonnendijk 24-c is op te vragen op deze pagina.
De informatie over dit adres is afkomstig uit officiële overheidsregistraties, voornamelijk de Basisregistratie Adressen en Gebouwen (BAG) en de Basisregistratie Kadaster (BRK). Deze gegevens worden beheerd door respectievelijk gemeenten en het Kadaster, en worden regelmatig bijgewerkt. Energielabelgegevens komen uit de database van de Rijksdienst voor Ondernemend Nederland (RVO).
