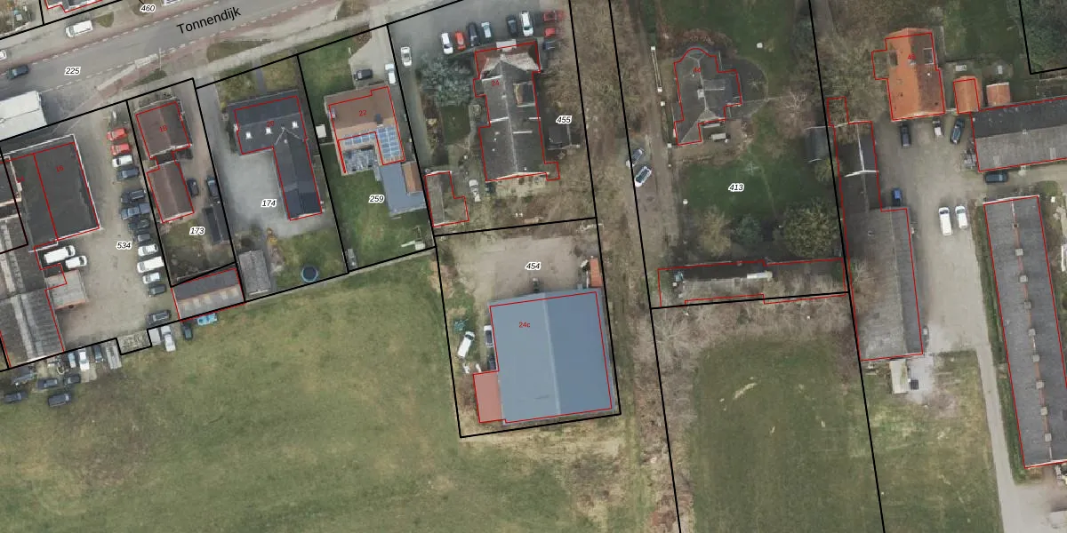
Perceel: HAM00-H-454
KadastraleKaart.com kan meer dan je denktOntdek meer ›
Filter op bestemming 50+ datasets Eigendomsdata in één klik Percelen CRM
1.146 m2 - 136 m
Eigenaar opvragen
HAM00-H-454 (Den Ham)
- 7681 BN
1rNvRfYLvJwrW VwBafMoWiIaTWUUpgrade naar KadastraleKaart Pro
Bekijk op Street View
Download DWG/DXF/Excel
eEXPoqgZHyw5N8DcgZUpgrade naar KadastraleKaart Pro
W6vYG EvQnkjJvEjtCJUpgrade naar KadastraleKaart Pro
4 t614hm4AKLBXjY6Upgrade naar KadastraleKaart Pro
rMxWgdaYUpgrade naar KadastraleKaart Pro
gR30C3m2eLggm4G3Upgrade naar KadastraleKaart Pro
H9YzgEyqBM5r0K5EeUpgrade naar KadastraleKaart Pro
RVXOhqzrY4a0Upgrade naar KadastraleKaart Pro
bNZgA3CgS6RaZKTuUpgrade naar KadastraleKaart Pro
4Q44bjaVGkbUpgrade naar KadastraleKaart Pro
LfoXdT67LR9tXsxUpgrade naar KadastraleKaart Pro
05/04/2002

Percelen
Gebruik de zoekbalk of klik op een perceel om informatie over het perceel te bekijken.