Product Functies Prijzen Meer

Adressen

Gebruik de zoekbalk of klik op een perceel voor informatie over de adressen binnen dit perceel.
Locatie
Meten
Lagen
Download

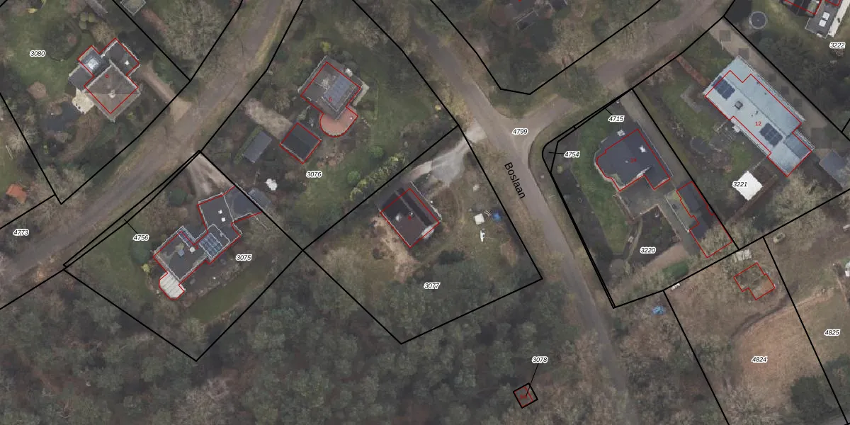
Boslaan 9

8091BJ, Wezep

1519312 Wat moet ik bieden voor deze woning?
234 m²
woonfunctie
1.495 m² perceeloppervlakte
?

Boslaan 9 is een adres in Wezep, dat zich bevindt binnen de gemeentegrenzen van Wezep en de grenzen van de provincie Gelderland. De oppervlakte bedraagt 234 m², waarmee het adres groter dan gemiddeld is. De grootte van het perceel waarop het adres ligt is 1495 m². De oppervlakte van dit adres is groot vergeleken met de oppervlaktes van andere adressen in de straat. De kleinste oppervlakte bedraagt er 11 m², de grootste 310 m². De meeste Nederlandse gebouwen zijn gebouwd in de periode 1965-1984. Zo ook het pand waarin Boslaan 9 ligt, dat gebouwd is in 1984. In de straat is dit het nieuwste pand en stamt het oudste object uit het jaar 1935. Het gemiddelde bouwjaar in de straat is 1970. De volgende gebruiksdoelen zijn geregistreerd voor dit adres: 'woonfunctie'.

Verkoopdata beschikbaar

Deze woning is voor het laatst verkocht op 1 januari 2015. Meer informatie over deze transactie? Bestel het Woningtransactierapport om de verkoopprijs en andere informatie te zien.

Perceel

Het adres ligt op het perceel ODB01-F-3077, dat zich in de kadastrale gemeente Oldebroek bevindt. Het perceel is 1495 m² groot. Dat is kleiner dan de gemiddelde perceeloppervlakte in Oldebroek, dat op 5941,76 m² ligt. De grootste perceeloppervlakte in de kadastrale gemeente is 4,56 km². De kleinste oppervlakte bedraagt 0 m². Er zijn geen andere adressen aanwezig op het perceel. De huidige grenzen van het perceel zijn digitaal in de Basisregistratie Kadaster (BRK) geregistreerd op 03-04-2001.

Energielabel en status

Er is geen energielabel geregistreerd voor het adres. Het hoogste energielabel in de straat is C; het laagste is G. Het gemiddelde energielabel is er C. Het adres Boslaan 9 heeft als status: 'verblijfsobject in gebruik'. Het pand waarin dit adres ligt heeft als status: 'pand in gebruik'.

Meer lezen

Adres

Gebruiksoppervlakte
234 m²
Bruto vloeroppervlakte
Ckv C1UkQUpgrade naar KadastraleKaart Pro
Gebruiksdoel(en)
Woonfunctie
Status
Verblijfsobject in gebruik
Type
Onbekend
Gasloos
i5q5Ha py64Upgrade naar KadastraleKaart Pro
Gebeurtenissen
Appartementsrechten
gLOb4f9 BtuqYjdI1OM0 Upgrade naar KadastraleKaart Pro
Eigenaar
Eigendomsinformatie 12,95
Adresinformatie bestellen
Adrespakket 34,95
VBO ID
0269010000000532
Woning laatst verkocht in
2015 -
Verkoopprijs opvragen 8,95

Pand

Bouwjaar pand
1984
Aantal adressen in dit gebouw
1 adres
Hoogte pand
pxXElODZIKTBztQNHUpgrade naar KadastraleKaart Pro
Aantal bouwlagen (schatting)
1tcQNlXsC67HXUpgrade naar KadastraleKaart Pro
Volume
yaLDC8hFzSjCZG43jbUpgrade naar KadastraleKaart Pro
Oppervlakte dak
pXKpMJHmuqaCUUpgrade naar KadastraleKaart Pro
Oppervlakte buitenmuur
G5v6PhPscWLw1YgqUpgrade naar KadastraleKaart Pro
Status pand
Pand in gebruik
Pand ID
0269100000008500

Perceel

Kadastrale aanduiding
Oldebroek F 3077 (ODB01 F 3077)
Oppervlakte
1.495 m²
Maatvoering
Kadastrale kaart met maatvoering 59,95
Omtrek
157 meter
Datum laatst gewijzigd
03/04/2001
Aantal adressen op perceel
1
Hoogte boven N.A.P.
w80OCI9 N3WlOSUpgrade naar KadastraleKaart Pro

Veelgestelde vragen

Boslaan 9 is een adres gelegen in de gemeente Oldebroek, provincie Gelderland. Dit adres is geregistreerd in de Basisregistratie Adressen en Gebouwen (BAG) met als unieke identificatie 0269010000000532.

Het pand op Boslaan 9 is gebouwd in 1984, wat betekent dat het 42 jaar oud is. Dit is een pand van middelbare leeftijd. Het pand is van gemiddelde leeftijd en zal waarschijnlijk verouderde elementen bevatten.

De woning op Boslaan 9 heeft een gebruiksoppervlakte van 234 m². Dit is ruim vergeleken met de gemiddelde Nederlandse woning, die een oppervlakte heeft van ongeveer 119 m². De gebruiksoppervlakte is de maat die wordt gebruikt in de BAG-registratie, de landelijke registratie van de Nederlandse overheid.

Boslaan 9 heeft als functie: wonen. Deze gebruiksfunctie(s) zijn vastgelegd in de BAG-registratie en geven aan waarvoor het adres officieel mag worden gebruikt.

Boslaan 9 is gelegen op kadastraal perceel ODB01F3077. Deze kadastrale aanduiding is uniek en wordt gebruikt door het Kadaster om eigendomsrechten en andere zakelijke rechten vast te leggen. Het perceel maakt onderdeel uit van de kadastrale gemeente Oldebroek.

Het perceel waarop Boslaan 9 staat heeft een oppervlakte van 1495 m². Dit is een zeer groot perceel. De perceeloppervlakte wordt geregistreerd door het Kadaster. Gedetailleerde informatie over de maten van dit perceel kunt u vinden in het rapport Kadastrale kaart met maatvoering van Boslaan 9.

De eigenaar van Boslaan 9 is op te vragen op deze pagina.

De informatie over dit adres is afkomstig uit officiële overheidsregistraties, voornamelijk de Basisregistratie Adressen en Gebouwen (BAG) en de Basisregistratie Kadaster (BRK). Deze gegevens worden beheerd door respectievelijk gemeenten en het Kadaster, en worden regelmatig bijgewerkt. Energielabelgegevens komen uit de database van de Rijksdienst voor Ondernemend Nederland (RVO).

Maatvoeringsrapport

Wie is de eigenaar?

Bekijk de eigenaar van Boslaan 9 met de eigendomsinformatie.
Bekijk de eigenaar van dit adres.
Maatvoeringsrapport

Maatvoering van het perceel

Bestel de maatvoering voor Boslaan 9 met het maatvoeringsrapport.
Bestel de maatvoering voor dit adres.

360°-foto's van de omgeving

Google Street View
Upgrade nu voor 360° Street View foto's

Zon en schaduw rondom adres

Buurt
Wezep-West
Inwoners: 1.310
Woningen: 531
Wijk
Wijk 01 Wezep
Inwoners: 13.805
Woningen: 5.690
Gemeente
Oldebroek
Inwoners: 24.281
Woningen: 9.510