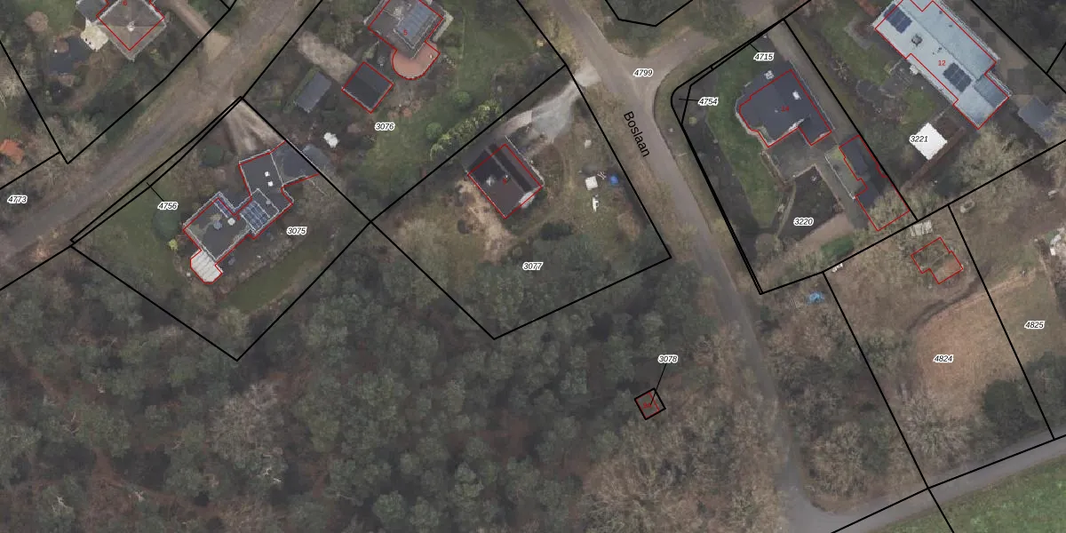
Perceel: ODB01-F-3077
KadastraleKaart.com kan meer dan je denktOntdek meer ›
Filter op bestemming 50+ datasets Eigendomsdata in één klik Percelen CRM
1.495 m2 - 157 m
Eigenaar opvragen
ODB01-F-3077 (Oldebroek)
- 8091 BJ
s91Wbz06r544G6m8rjs7 Upgrade naar KadastraleKaart Pro
Verkoopprijs opvragen
Bekijk op Street View
Download DWG/DXF/Excel
al7MXFXYXTpZXSyo8RsH4sUpgrade naar KadastraleKaart Pro
mRCmK6gt4zLo938QL4 Gy Upgrade naar KadastraleKaart Pro
llO2tPoYdRuku FRVJUpgrade naar KadastraleKaart Pro
0WTv0Un3J Xza KR3AtrFDUpgrade naar KadastraleKaart Pro
tkk0heOrTlxUpgrade naar KadastraleKaart Pro
MX3pLrxujs 418wbXQDxLUpgrade naar KadastraleKaart Pro
nobeJrOHU11k67sEwtUpgrade naar KadastraleKaart Pro
IJ nYh hUpgrade naar KadastraleKaart Pro
lEHEYvoH yXhJXfN0flGSdUpgrade naar KadastraleKaart Pro
B 5Cvra YHsq7SFihZUpgrade naar KadastraleKaart Pro
03/04/2001

Percelen
Gebruik de zoekbalk of klik op een perceel om informatie over het perceel te bekijken.