
Het adres Daggeldersweg 19 bevindt zich in de plaats Woerden, in de gemeente Woerden en de provincie Utrecht. De oppervlakte bedraagt 495 m², waarmee het adres groter dan gemiddeld is. De grootte van het perceel waarop het adres ligt is 980 m². Het object is klein ten opzichte van de andere adressen in de straat. Het grootste verblijfsobject is 1264 m² groot en het kleinste is 140 m². Daggeldersweg 19 bevindt zich in een pand uit het jaar 1900. Daarmee behoort het tot de groep relatief oude panden in Nederland die gebouwd zijn vóór 1965. In de straat komt het nieuwste gebouw uit het jaar 2017 en het oudste uit 1750. Het bouwjaar van dit object is relatief oud. Voor het verblijfsobject gelden deze gebruiksdoelen: 'woonfunctie'.
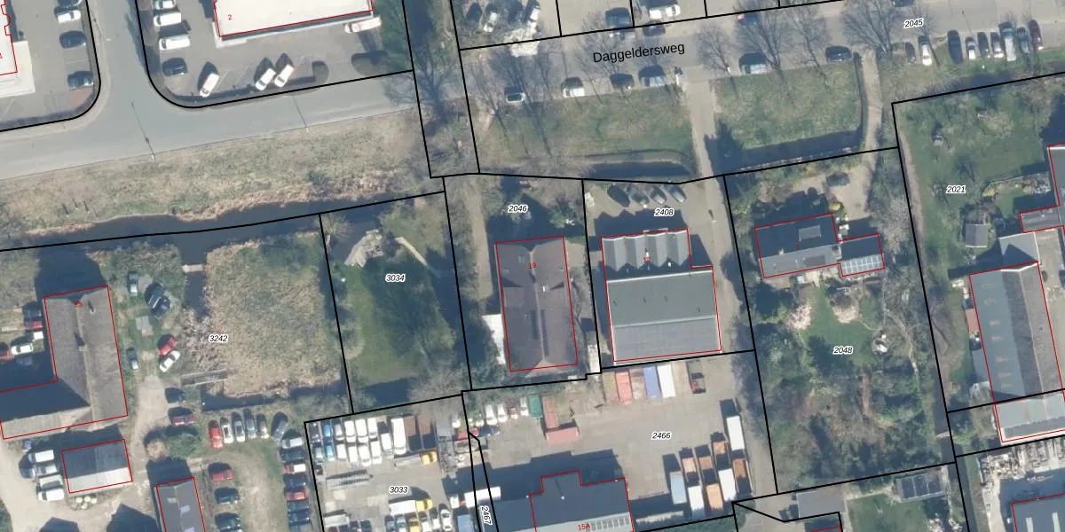
Het perceel waarop het adres ligt is WDN01-D-2046. De afkorting 'WDN01' staat voor kadastrale gemeente Woerden. De gemiddelde perceelgrootte in Woerden is 1325,81 m². Dit perceel is kleiner: de perceeloppervlakte bedraagt 980 m². Het grootste perceel in de kadastrale gemeente is 55,0 ha. Het kleinste perceel heeft een oppervlakte van 0 m². Er zijn geen andere adressen aanwezig op het perceel. In de Basisregistratie Kadaster (BRK) werden de grenzen van het perceel geregistreerd op 22-09-2009.
Er is geen energielabel geregistreerd voor het adres. Het hoogste energielabel in de straat is A++; het laagste is G. Het gemiddelde energielabel is er B. Het adres Daggeldersweg 19 heeft als status: 'verblijfsobject in gebruik'. Het pand waarin dit adres ligt heeft als status: 'pand in gebruik'.
Daggeldersweg 19 is een adres gelegen in de gemeente Woerden, provincie Utrecht. Dit adres is geregistreerd in de Basisregistratie Adressen en Gebouwen (BAG) met als unieke identificatie 0632010000014507.
Het pand op Daggeldersweg 19 is gebouwd in 1900, wat betekent dat het 126 jaar oud is. Dit is een ouder pand. Het pand heeft mogelijk aanzienlijke renovaties nodig om aan de huidige standaarden te voldoen.
De woning op Daggeldersweg 19 heeft een gebruiksoppervlakte van 495 m². Dit is ruim vergeleken met de gemiddelde Nederlandse woning, die een oppervlakte heeft van ongeveer 119 m². De gebruiksoppervlakte is de maat die wordt gebruikt in de BAG-registratie, de landelijke registratie van de Nederlandse overheid.
Daggeldersweg 19 heeft als functie: wonen. Deze gebruiksfunctie(s) zijn vastgelegd in de BAG-registratie en geven aan waarvoor het adres officieel mag worden gebruikt.
Daggeldersweg 19 is gelegen op kadastraal perceel WDN01D2046. Deze kadastrale aanduiding is uniek en wordt gebruikt door het Kadaster om eigendomsrechten en andere zakelijke rechten vast te leggen. Het perceel maakt onderdeel uit van de kadastrale gemeente Woerden.
Het perceel waarop Daggeldersweg 19 staat heeft een oppervlakte van 980 m². Dit is een groot perceel. De perceeloppervlakte wordt geregistreerd door het Kadaster. Gedetailleerde informatie over de maten van dit perceel kunt u vinden in het rapport Kadastrale kaart met maatvoering van Daggeldersweg 19.
De eigenaar van Daggeldersweg 19 is op te vragen op deze pagina.
De informatie over dit adres is afkomstig uit officiële overheidsregistraties, voornamelijk de Basisregistratie Adressen en Gebouwen (BAG) en de Basisregistratie Kadaster (BRK). Deze gegevens worden beheerd door respectievelijk gemeenten en het Kadaster, en worden regelmatig bijgewerkt. Energielabelgegevens komen uit de database van de Rijksdienst voor Ondernemend Nederland (RVO).
