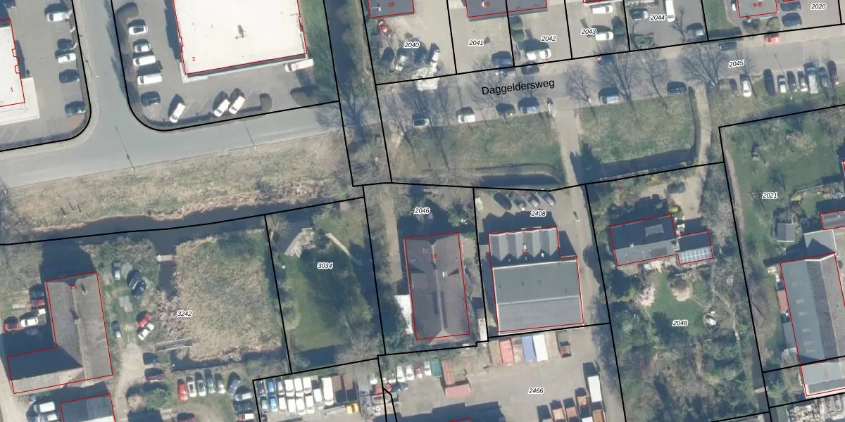
Perceel: WDN01-D-2046
KadastraleKaart.com kan meer dan je denktOntdek meer ›
Filter op bestemming 50+ datasets Eigendomsdata in één klik Percelen CRM
980 m2 - 129 m
Eigenaar opvragen
WDN01-D-2046 (Woerden)
- 3449 JD
2QauCcZbvGHpY5pvgUpedLkUpgrade naar KadastraleKaart Pro
Bekijk op Street View
Download DWG/DXF/Excel
CPG3ybBoD8l6Upgrade naar KadastraleKaart Pro
F5zu WRjwlL nCDUpgrade naar KadastraleKaart Pro
ThiZTL BcJ97OSTWz bRmUpgrade naar KadastraleKaart Pro
GpWz4XF Upgrade naar KadastraleKaart Pro
L4Yk041UQgnCJ1xHfm6CtkUpgrade naar KadastraleKaart Pro
pPc QjPtR 4cEthK 78k68Upgrade naar KadastraleKaart Pro
kr6zzekPctUpgrade naar KadastraleKaart Pro
5f4aTTvi661AJpSUpgrade naar KadastraleKaart Pro
gmtfbijBcqKIKgLxZVLFT7Upgrade naar KadastraleKaart Pro
qX3JnjT3JTUpgrade naar KadastraleKaart Pro
22/09/2009

Percelen
Gebruik de zoekbalk of klik op een perceel om informatie over het perceel te bekijken.