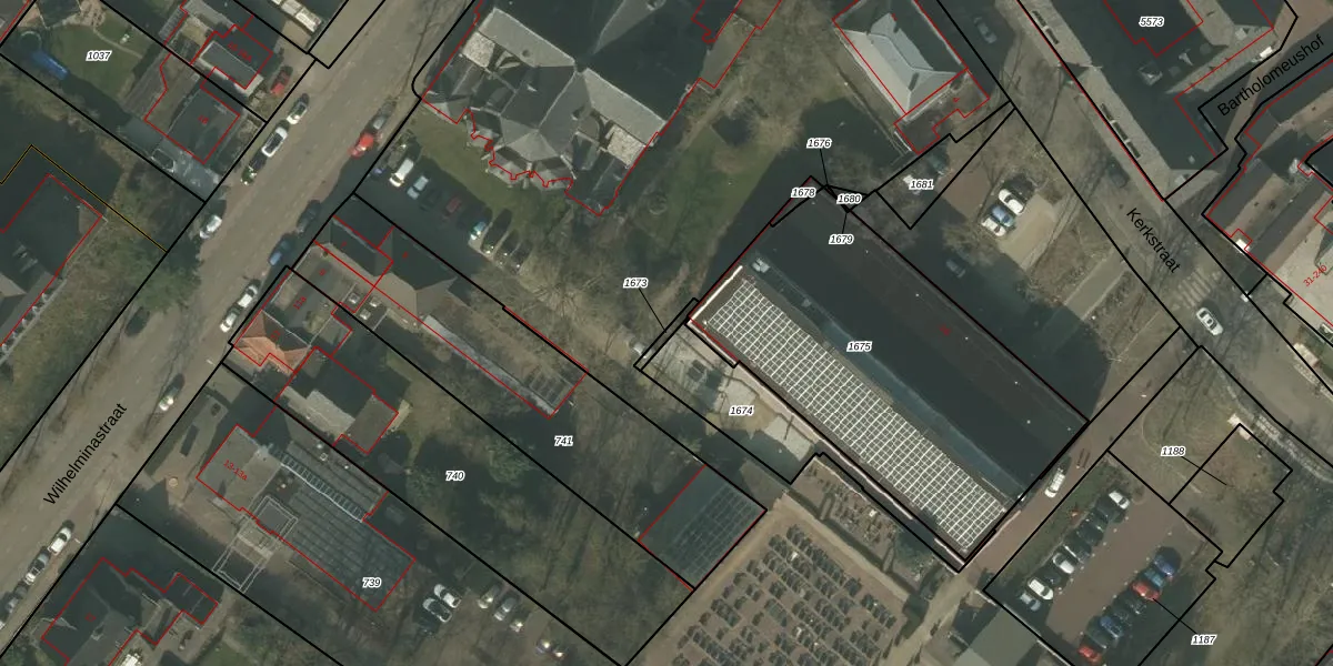
Perceel: ATN01-K-1673
Geen adressen bij dit perceel
16 m2 - 30 m
Eigenaar opvragen
ATN01-K-1673 (Asten)
- Geen postcode aanwezig
JOOZ3jhp9HToO3lnPn5 j6eJkBdIAUpgrade naar KadastraleKaart Pro
Bekijk op Street View
Download DWG/DXF/Excel
qPEux RCeruT iYUpgrade naar KadastraleKaart Pro
vcQtM yYXz15Upgrade naar KadastraleKaart Pro
EhAnkJuBKY0ac6f lUpgrade naar KadastraleKaart Pro
I3LCn48g0e4QzAiKNEFCJUpgrade naar KadastraleKaart Pro
LJkS ZiE2sg837q ClN5Upgrade naar KadastraleKaart Pro
cATrD8WiYkZyVeNHFUpgrade naar KadastraleKaart Pro
Q e7in9Ty1piFr2gYfUpgrade naar KadastraleKaart Pro
XcXYu8Z8Upgrade naar KadastraleKaart Pro
XI8ffDSeqBxBuqIhS GFUpgrade naar KadastraleKaart Pro
OK woJiyUpgrade naar KadastraleKaart Pro
30/03/2023

Percelen
Gebruik de zoekbalk of klik op een perceel om informatie over het perceel te bekijken.