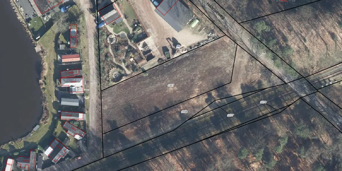
Perceel: ATN02-P-1557
Geen adressen bij dit perceel
2.090 m2 - 218 m
Eigenaar opvragen
ATN02-P-1557 (Aalten)
- Geen postcode aanwezig
PXtYOuBvMAmBLgSNYsD0PseUuQHUpgrade naar KadastraleKaart Pro
Bekijk op Street View
Download DWG/DXF/Excel
mLuo noSLD sVLWD2MLUpgrade naar KadastraleKaart Pro
SHP CTsxVFNfYpCbjqGqWGJUpgrade naar KadastraleKaart Pro
0g RC vCD YUpgrade naar KadastraleKaart Pro
T f hAgkchnO8ktaUpgrade naar KadastraleKaart Pro
Luulff3TUpgrade naar KadastraleKaart Pro
16NY8MQrzIkUpgrade naar KadastraleKaart Pro
pAHfaLSwicGUpgrade naar KadastraleKaart Pro
GT6pndj 75ddbEvO aQ Q0zUpgrade naar KadastraleKaart Pro
2L5B3QYaSMGUpgrade naar KadastraleKaart Pro
hXj KoJXG39pai3vq78Upgrade naar KadastraleKaart Pro
03/06/2024

Percelen
Gebruik de zoekbalk of klik op een perceel om informatie over het perceel te bekijken.