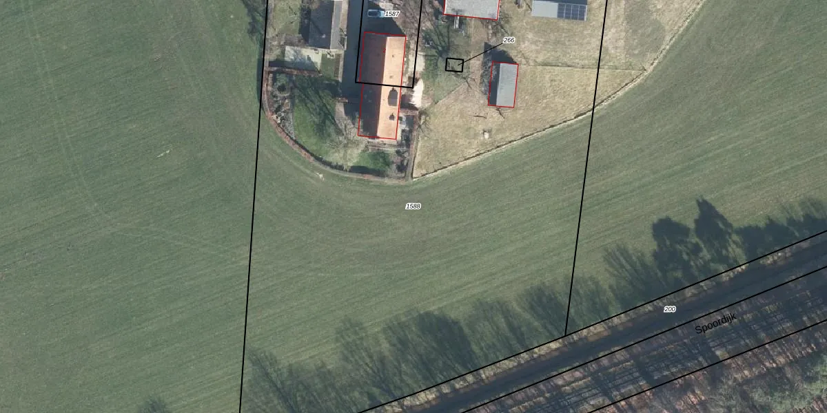
Perceel: ATN02-P-1588
8.358 m2 - 471 m
Eigenaar opvragen
ATN02-P-1588 (Aalten)
- 7121 LZ
8tk0ik 9BbE6UP3j3g7qR1WYUpgrade naar KadastraleKaart Pro
Bekijk op Street View
Download DWG/DXF/Excel
yA a9x2tjdLfFwWvUpgrade naar KadastraleKaart Pro
tRhB 9H 0EmnK1OIt8kUpgrade naar KadastraleKaart Pro
rnuvCkUqTTYwACW CZUiUpgrade naar KadastraleKaart Pro
o4bUL6Xk5d9kuJusLeiaiUpgrade naar KadastraleKaart Pro
AW 0fQ3AsVUeXZ Upgrade naar KadastraleKaart Pro
Ky63 fT O6KiwtdZJoUpgrade naar KadastraleKaart Pro
1n1dQ 8L0YKKgJ8ZWUpgrade naar KadastraleKaart Pro
rH2DDiX4 DfmiUpgrade naar KadastraleKaart Pro
kuVFCoLCr7Upgrade naar KadastraleKaart Pro
yK VYbkIyCyyYkUpgrade naar KadastraleKaart Pro
14/02/2025

Percelen
Gebruik de zoekbalk of klik op een perceel om informatie over het perceel te bekijken.