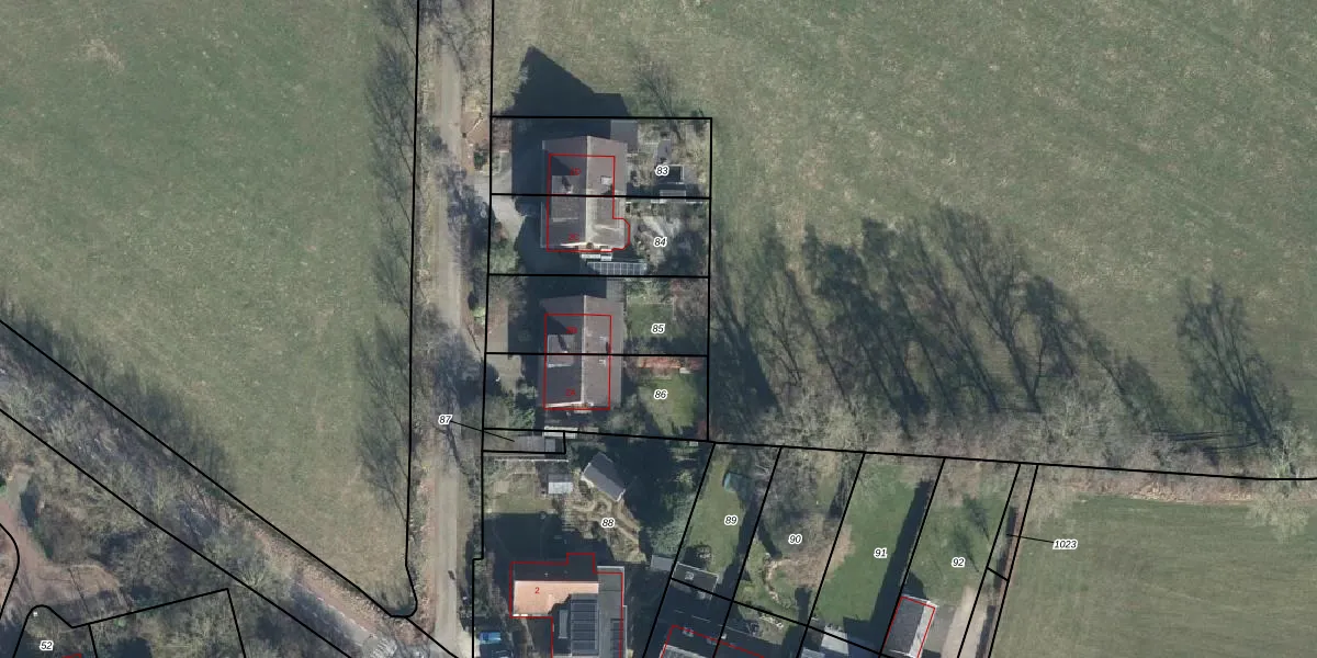
Perceel: ATN02-P-85

Adres bij perceel

Perceeloppervlakte & perceelomtrek

400 m2 - 91 m

Eigenaar van het perceel

Eigenaar opvragen

Kadastrale aanduiding

ATN02-P-85 (Aalten)

Postcode in perceel

    7121 LC

Type eigenaar

waEpCJSf7P1GcKIvvDCwlmGSbVd8L5Upgrade naar KadastraleKaart Pro

Woning verkocht in 2007

Verkoopprijs opvragen

Google Street View

Bekijk op Street View

Download

Download DWG/DXF/Excel

Gerelateerde percelen

7C1lXKJE a1bFsUpgrade naar KadastraleKaart Pro

Bebouwd/onbebouwd/water/groen

axqr8M2qUWn7sbsQGKusUpgrade naar KadastraleKaart Pro
Administratieve eenheden
fw1 o1 7dWyJm3hOHu5hkUpgrade naar KadastraleKaart Pro

Appartementsrechten

Qd5gBe y zXUpgrade naar KadastraleKaart Pro

Vergunningverlenende instanties

AGfkvJz xUpgrade naar KadastraleKaart Pro

Bedekking (BGT)

KI4lsrpCxUpgrade naar KadastraleKaart Pro

Publiekrechtelijke beperkingen

bt8zI Xu DcT1k gXqUpgrade naar KadastraleKaart Pro

Grensnauwkeurigheid

KlBACZGcjsmo6MUpgrade naar KadastraleKaart Pro

Coördinaten hoekpunten perceel

O5GMWH gMipn e9h5MHsUpgrade naar KadastraleKaart Pro

Hoogteligging

Ogjp9lMMdkEXzunUpgrade naar KadastraleKaart Pro

Laatst gewijzigd

22/01/1998

Kadastrale kaart met maatvoering 59,95
Kadastrale kaart pakket 28,95

Percelen

Gebruik de zoekbalk of klik op een perceel om informatie over het perceel te bekijken.
Locatie
Meten
Lagen
Download