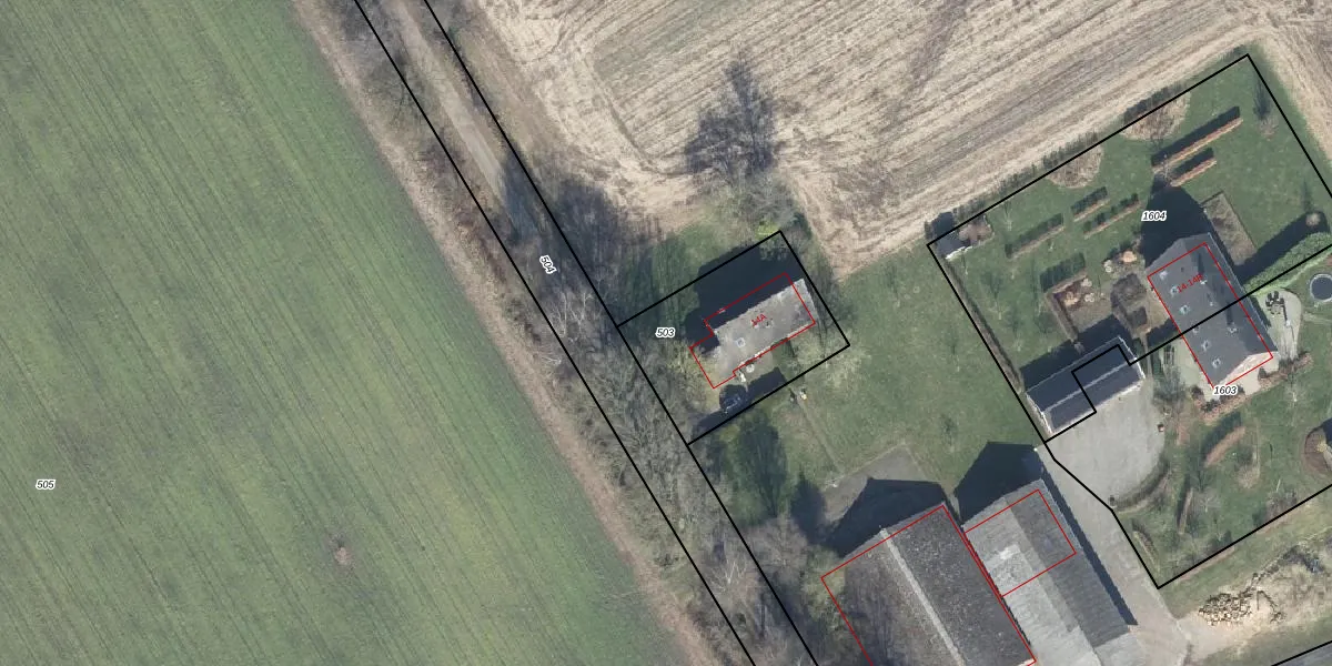
Perceel: ATN02-R-503

Adres bij perceel

Perceeloppervlakte & perceelomtrek

585 m2 - 98 m

Eigenaar van het perceel

Eigenaar opvragen

Kadastrale aanduiding

ATN02-R-503 (Aalten)

Postcode in perceel

    7121 KR

Type eigenaar

OdG9Vf KC8Wd7 cqWvQ9mICUpgrade naar KadastraleKaart Pro

Google Street View

Bekijk op Street View

Download

Download DWG/DXF/Excel

Gerelateerde percelen

dV307jVT0Upgrade naar KadastraleKaart Pro

Bebouwd/onbebouwd/water/groen

fZj F8D6 Upgrade naar KadastraleKaart Pro
Administratieve eenheden
UoPvBTP hMmvUpgrade naar KadastraleKaart Pro

Appartementsrechten

UX5KBG B TzUpgrade naar KadastraleKaart Pro

Vergunningverlenende instanties

f05SK68PYxfRhlsVwFn4H85Upgrade naar KadastraleKaart Pro

Bedekking (BGT)

bJTYlKjWqGUpgrade naar KadastraleKaart Pro

Publiekrechtelijke beperkingen

DXfMkkZkPXRa LQmC37a4EUpgrade naar KadastraleKaart Pro

Grensnauwkeurigheid

E t 9LCyULl di1Upgrade naar KadastraleKaart Pro

Coördinaten hoekpunten perceel

PeT56xw1Gmw9eUpgrade naar KadastraleKaart Pro

Hoogteligging

nfH9BPv YY7Upgrade naar KadastraleKaart Pro

Laatst gewijzigd

22/01/1998

Kadastrale kaart met maatvoering 59,95
Kadastrale kaart pakket 28,95

Percelen

Gebruik de zoekbalk of klik op een perceel om informatie over het perceel te bekijken.
Locatie
Meten
Lagen
Download