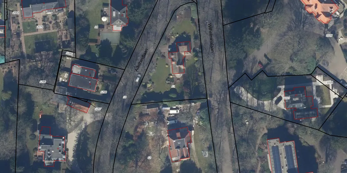
Perceel: BAA01-K-11
KadastraleKaart.com kan meer dan je denktOntdek meer ›
Filter op bestemming 50+ datasets Eigendomsdata in één klik Percelen CRM
1.515 m2 - 173 m
Eigenaar opvragen
BAA01-K-11 (Baarn)
- 3743 DH
i1DdjWo Gn 4L9DrUpgrade naar KadastraleKaart Pro
Bekijk op Street View
Download DWG/DXF/Excel
KUFwXdy7Upgrade naar KadastraleKaart Pro
wS5z53sClNUpgrade naar KadastraleKaart Pro
0uG zW0v1vNGwHUoIq xX0Upgrade naar KadastraleKaart Pro
anzHELumhvUpgrade naar KadastraleKaart Pro
6q Qe14qvyGUpgrade naar KadastraleKaart Pro
wT9907qbleXa9 uGOUpgrade naar KadastraleKaart Pro
kfKr2i3TlVLvUpgrade naar KadastraleKaart Pro
lTmmif25z KveGeRj7 VkUpgrade naar KadastraleKaart Pro
v 5r6BZ9ZYAIv7aVPPofVXUpgrade naar KadastraleKaart Pro
VCZPagEEUzpUpgrade naar KadastraleKaart Pro
19/09/1997

Percelen
Gebruik de zoekbalk of klik op een perceel om informatie over het perceel te bekijken.