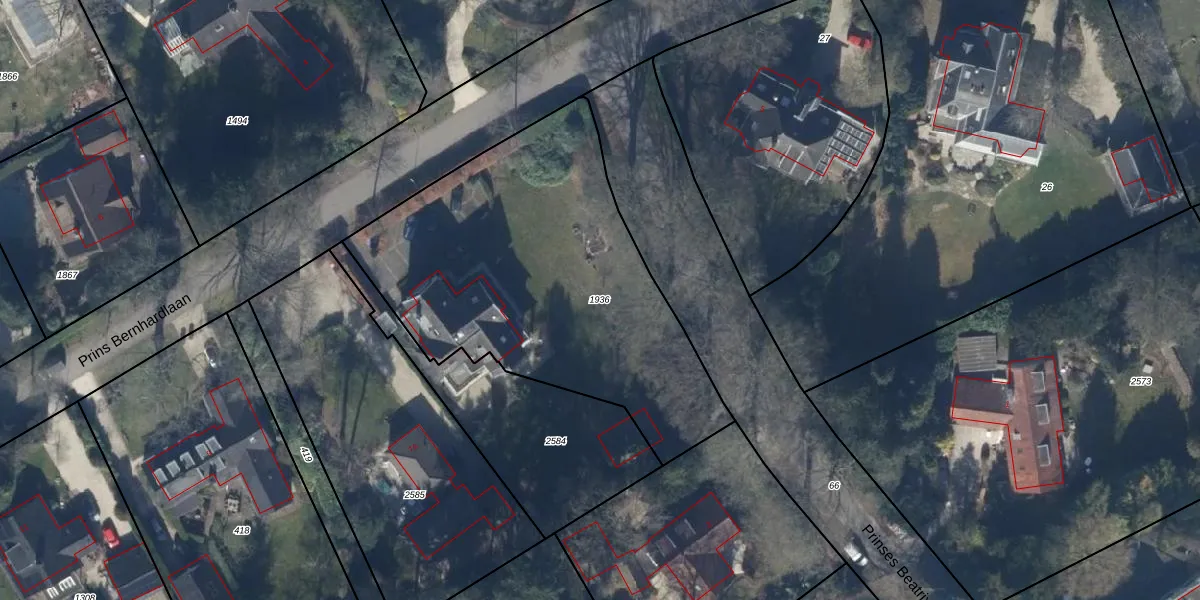
Perceel: BAA01-L-1936
1.855 m2 - 197 m
Eigenaar opvragen
BAA01-L-1936 (Baarn)
- 3743 JJ
m9QId 8PusvG 4 JUpgrade naar KadastraleKaart Pro
Verkoopprijs opvragen
Bekijk op Street View
Download DWG/DXF/Excel
Onhyu aeMk lgcDVKsUpgrade naar KadastraleKaart Pro
QJ51rzTadllngO b0nYUpgrade naar KadastraleKaart Pro
Im8 Wl W9rnaUpgrade naar KadastraleKaart Pro
FhmTg9IOZtXDhM2V vqvuzNUpgrade naar KadastraleKaart Pro
l80 Nr7ff3 JkAvCe GvCUpgrade naar KadastraleKaart Pro
lMWO g9lUpgrade naar KadastraleKaart Pro
tcVOkRQXCUpgrade naar KadastraleKaart Pro
8Ykk 4uPUpgrade naar KadastraleKaart Pro
lEiSVECVea Upgrade naar KadastraleKaart Pro
ScizRzwTXjKCAwWxPQ VG5Upgrade naar KadastraleKaart Pro
19/09/1997

Percelen
Gebruik de zoekbalk of klik op een perceel om informatie over het perceel te bekijken.