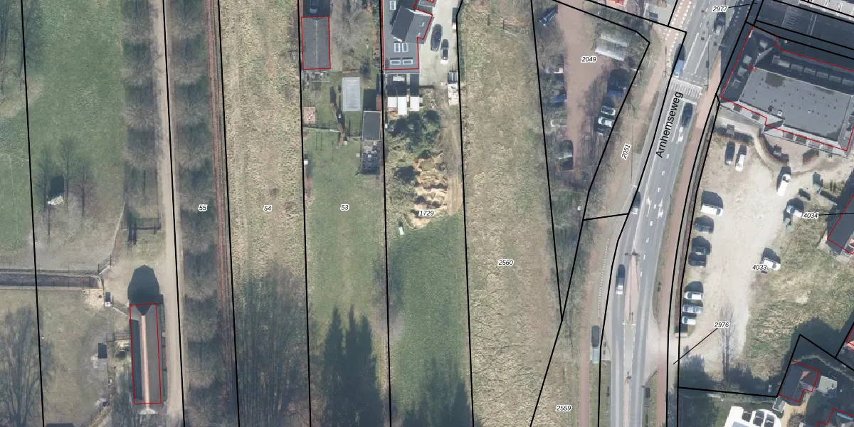
Perceel: BBG01-M-1729
KadastraleKaart.com kan meer dan je denktOntdek meer ›
Filter op bestemming 50+ datasets Eigendomsdata in één klik Percelen CRM
2.195 m2 - 275 m
Eigenaar opvragen
BBG01-M-1729 (Beekbergen)
- 7361 CT
Wtom2H8bR m 12Vkq4uYjaYbFG EUpgrade naar KadastraleKaart Pro
Verkoopprijs opvragen
Bekijk op Street View
Download DWG/DXF/Excel
qZEtpbLBfbKlXFUpgrade naar KadastraleKaart Pro
vLI3bNIiiJxnVJ DcyD QFKUpgrade naar KadastraleKaart Pro
1IE T8vK1oGcfxUpgrade naar KadastraleKaart Pro
hLjbvwamzKfiHfUKRlbvoUpgrade naar KadastraleKaart Pro
o T7DSwhUpgrade naar KadastraleKaart Pro
mRHF0WS9ZH CXC99bKZq 7Upgrade naar KadastraleKaart Pro
Bkd wOVOulI62bUpgrade naar KadastraleKaart Pro
rInJoW PLH mua 9bLYUpgrade naar KadastraleKaart Pro
EMrDnUhc F5Upgrade naar KadastraleKaart Pro
ZCxCSK AbZKcy69bRzSUpgrade naar KadastraleKaart Pro
13/08/2007

Percelen
Gebruik de zoekbalk of klik op een perceel om informatie over het perceel te bekijken.