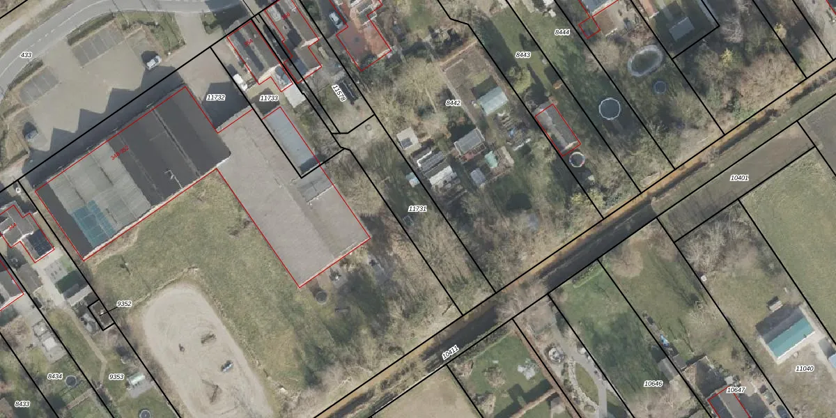
Perceel: BGR01-B-11731
KadastraleKaart.com kan meer dan je denktOntdek meer ›
Filter op bestemming 50+ datasets Eigendomsdata in één klik Percelen CRM
Geen adressen bij dit perceel
507 m2 - 127 m
Eigenaar opvragen
BGR01-B-11731 (Borger)
- Geen postcode aanwezig
z3T EO Q2KVZbbSFYa3 hKaMjUpgrade naar KadastraleKaart Pro
Bekijk op Street View
Download DWG/DXF/Excel
LAygOJgZgLW7q Upgrade naar KadastraleKaart Pro
JIG n8oysId7VMTLeEUpgrade naar KadastraleKaart Pro
KNI70hYmqBwKUpgrade naar KadastraleKaart Pro
EWsNDNlqowrcYxQq3Upgrade naar KadastraleKaart Pro
qCRcC S XUpgrade naar KadastraleKaart Pro
rdhzVDHdUT5XUpgrade naar KadastraleKaart Pro
kliYPIvm0MgVO2Upgrade naar KadastraleKaart Pro
xhp3bqwxrclUpgrade naar KadastraleKaart Pro
3UNuL FiUcG8QbUpgrade naar KadastraleKaart Pro
n9MZehJYE7DvHUpgrade naar KadastraleKaart Pro
07/09/2017

Percelen
Gebruik de zoekbalk of klik op een perceel om informatie over het perceel te bekijken.