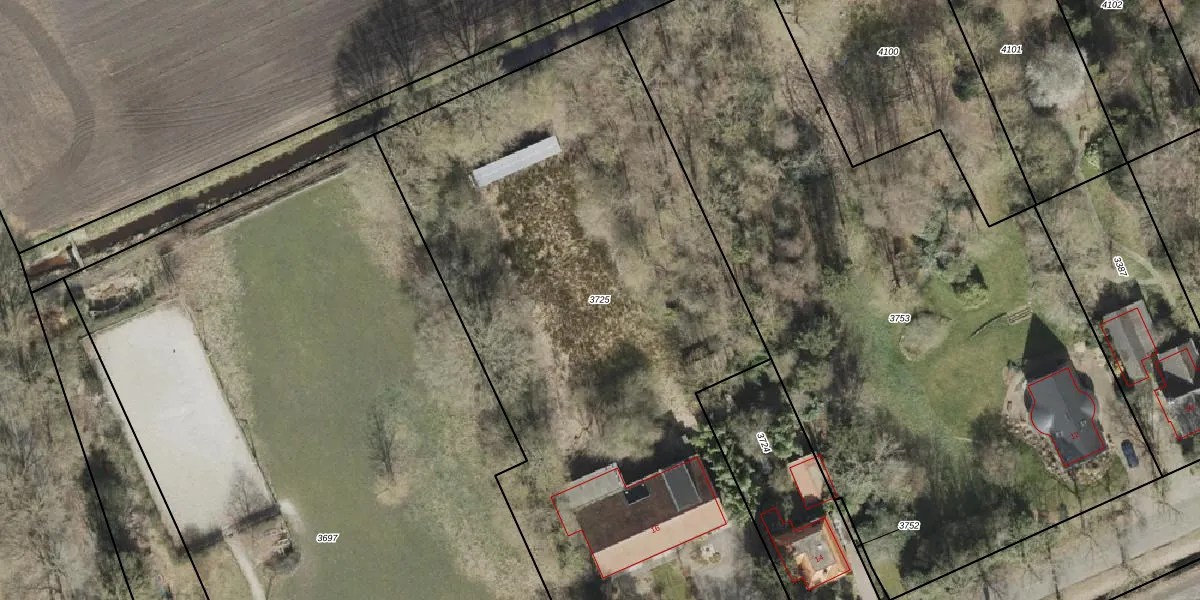
Perceel: BGR01-D-3725
KadastraleKaart.com kan meer dan je denktOntdek meer ›
Filter op bestemming 50+ datasets Eigendomsdata in één klik Percelen CRM
4.340 m2 - 312 m
Eigenaar opvragen
BGR01-D-3725 (Borger)
- 7858 TC
okm98sM5BUEV0w42exVr 2 XQ6k5Upgrade naar KadastraleKaart Pro
Bekijk op Street View
Download DWG/DXF/Excel
rWllVAPLtUpgrade naar KadastraleKaart Pro
o43CweyZzSYn05Dds12Upgrade naar KadastraleKaart Pro
jzM iqLQ5 8CWbFbFFfMLz Upgrade naar KadastraleKaart Pro
9A PiiabTcLf5Upgrade naar KadastraleKaart Pro
zILdpystHH 8J0v4Upgrade naar KadastraleKaart Pro
bRU VhZJdXck428QE aUpgrade naar KadastraleKaart Pro
J ZxF J S4Upgrade naar KadastraleKaart Pro
yT nc1 uN 9f hCSihUpgrade naar KadastraleKaart Pro
2 xy048rUpgrade naar KadastraleKaart Pro
UPmGbb0niVZuUpgrade naar KadastraleKaart Pro
01/02/2002

Percelen
Gebruik de zoekbalk of klik op een perceel om informatie over het perceel te bekijken.