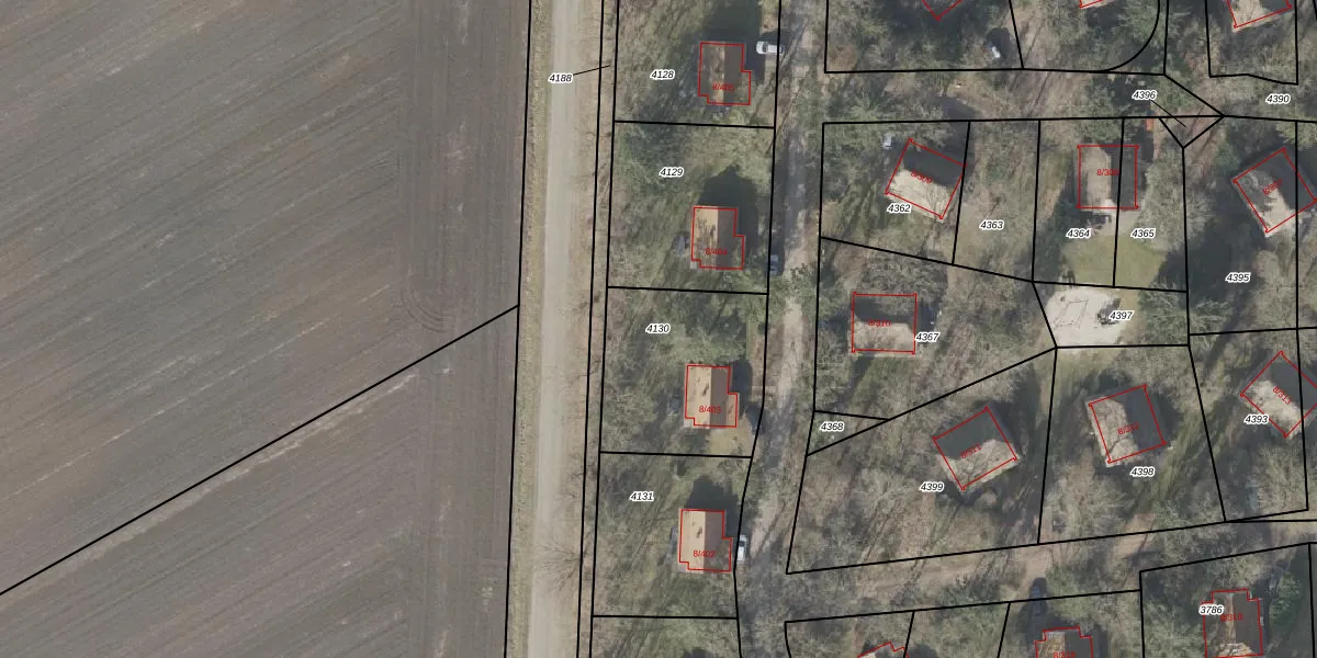
Perceel: BGR01-D-4130
KadastraleKaart.com kan meer dan je denktOntdek meer ›
Filter op bestemming 50+ datasets Eigendomsdata in één klik Percelen CRM
607 m2 - 98 m
Eigenaar opvragen
BGR01-D-4130 (Borger)
- 9536 PG
qrUH2ldvHJqGgPtZ HigZ4Upgrade naar KadastraleKaart Pro
Verkoopprijs opvragen
Bekijk op Street View
Download DWG/DXF/Excel
ujP nSs1zUpgrade naar KadastraleKaart Pro
hzcnPlg7mDAR4zEVVY1Upgrade naar KadastraleKaart Pro
7Z K9TqPUpgrade naar KadastraleKaart Pro
EcBMESK61Eb70t9Upgrade naar KadastraleKaart Pro
7MmNrHGZWhVbIBMG K5Upgrade naar KadastraleKaart Pro
2xyhZ SatX 5Zgs2Upgrade naar KadastraleKaart Pro
uA NJvM783mjbZKDXnXFoLUpgrade naar KadastraleKaart Pro
Bjpj0nBIkHgKPZrT21JzjBbUpgrade naar KadastraleKaart Pro
GbgsOqfCfCUpgrade naar KadastraleKaart Pro
I ZVSNk9cqhF d0USe0gIhUpgrade naar KadastraleKaart Pro
13/09/2007

Percelen
Gebruik de zoekbalk of klik op een perceel om informatie over het perceel te bekijken.