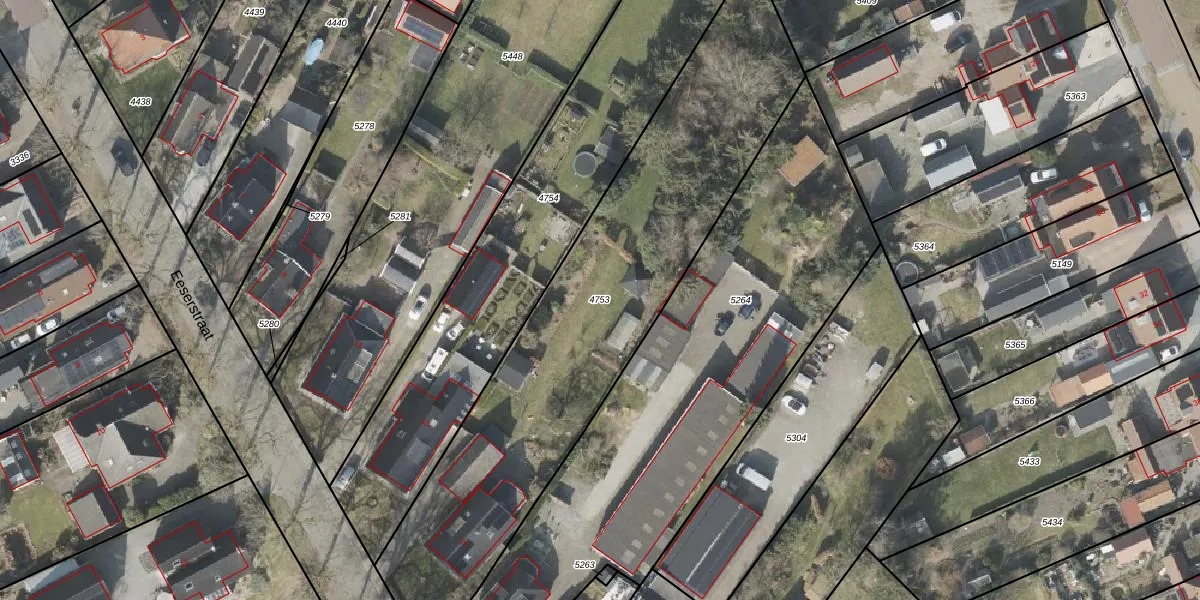
Perceel: BGR01-F-4753
KadastraleKaart.com kan meer dan je denktOntdek meer ›
Filter op bestemming 50+ datasets Eigendomsdata in één klik Percelen CRM
2.090 m2 - 275 m
Eigenaar opvragen
BGR01-F-4753 (Borger)
- 9531 CL
JTWTTp8RsIcHCVteJD BoHW1kLaj3Upgrade naar KadastraleKaart Pro
Verkoopprijs opvragen
Bekijk op Street View
Download DWG/DXF/Excel
40Vv9D6GjUpgrade naar KadastraleKaart Pro
f0Ruufzvx0X2p0gcoaWuUpgrade naar KadastraleKaart Pro
MXUR Bjmjl rf W fmXJ Upgrade naar KadastraleKaart Pro
qOsRrBmn5luUpgrade naar KadastraleKaart Pro
FNWeBjF7GTuUpgrade naar KadastraleKaart Pro
sEmaLIXb MrF 6VERIy vUpgrade naar KadastraleKaart Pro
vFlMPjqn1r N1iSpx6Upgrade naar KadastraleKaart Pro
W F6zheGPrub PyywDoUpgrade naar KadastraleKaart Pro
ZUmzoIAkPcaE Lo3SUpgrade naar KadastraleKaart Pro
4GjtbKwwAgOUpgrade naar KadastraleKaart Pro
03/02/2010

Percelen
Gebruik de zoekbalk of klik op een perceel om informatie over het perceel te bekijken.