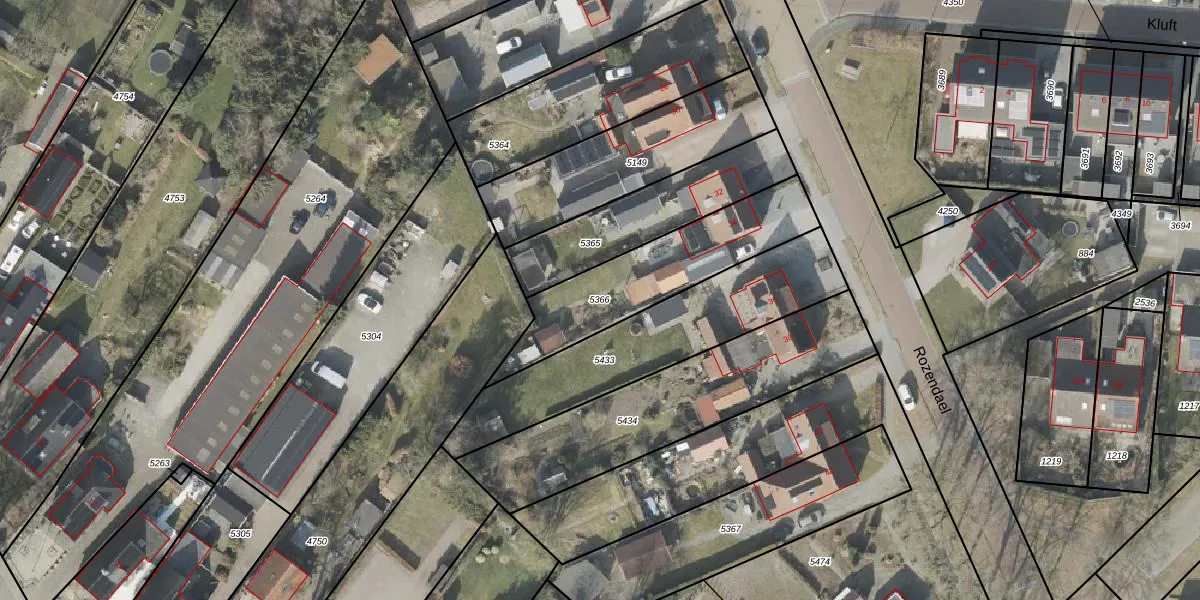
Perceel: BGR01-F-5366
KadastraleKaart.com kan meer dan je denktOntdek meer ›
Filter op bestemming 50+ datasets Eigendomsdata in één klik Percelen CRM
532 m2 - 140 m
Eigenaar opvragen
BGR01-F-5366 (Borger)
- 9531 CZ
aSx4dUabcnAsnEc8rcw hqUpgrade naar KadastraleKaart Pro
Verkoopprijs opvragen
Bekijk op Street View
Download DWG/DXF/Excel
ZJ1nDb L5tH UF ShjuXUpgrade naar KadastraleKaart Pro
3t XaU EaxR2pIudJ96Upgrade naar KadastraleKaart Pro
zwmbxg 6xuPUpgrade naar KadastraleKaart Pro
QHDff4Z0tsKCJs3qDUpgrade naar KadastraleKaart Pro
RgpCY T8b 9g5tfRrUpgrade naar KadastraleKaart Pro
wL1K64ax Upgrade naar KadastraleKaart Pro
WsgLh thjTsmr9LNZCLhUpgrade naar KadastraleKaart Pro
FeOOXdafUpgrade naar KadastraleKaart Pro
W2XXrgLjc2H7YDTWTE9tb3 Upgrade naar KadastraleKaart Pro
D96T6pv9oGoF1VHWq2O6jUpgrade naar KadastraleKaart Pro
17/03/2011

Percelen
Gebruik de zoekbalk of klik op een perceel om informatie over het perceel te bekijken.