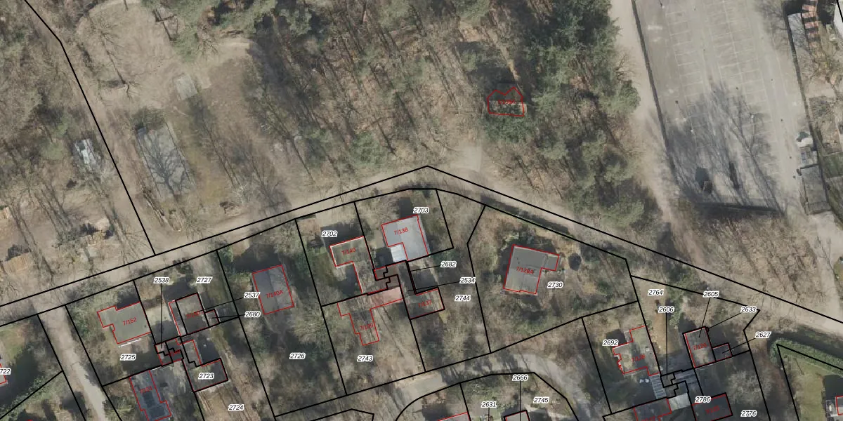
Perceel: BGR01-G-2703
KadastraleKaart.com kan meer dan je denktOntdek meer ›
Filter op bestemming 50+ datasets Eigendomsdata in één klik Percelen CRM
322 m2 - 77 m
Eigenaar opvragen
BGR01-G-2703 (Borger)
- 9533 PC
XnmRN8 cL N3W4INFLajc8Upgrade naar KadastraleKaart Pro
Verkoopprijs opvragen
Bekijk op Street View
Download DWG/DXF/Excel
MARj QV5Rh4bNOdN7t 0mUpgrade naar KadastraleKaart Pro
JBoL4Ewhz5SaY 8 qv ltUpgrade naar KadastraleKaart Pro
cuDU Gh3Vp aheZoxDUpgrade naar KadastraleKaart Pro
YgSqCBA5IHQz8p 6x3R7RUpgrade naar KadastraleKaart Pro
gh6NkCqS HUpgrade naar KadastraleKaart Pro
r UyHb1 qWTc z3oqvH4gl8Upgrade naar KadastraleKaart Pro
tbcMjYp54Z1ZJG85ZNnMUpgrade naar KadastraleKaart Pro
PSz tQU35poPhhrp 2WvA4Upgrade naar KadastraleKaart Pro
AR0cTs6wfqrUpgrade naar KadastraleKaart Pro
9Tgh9Q FlHupUBjCtNUpgrade naar KadastraleKaart Pro
27/02/2002

Percelen
Gebruik de zoekbalk of klik op een perceel om informatie over het perceel te bekijken.