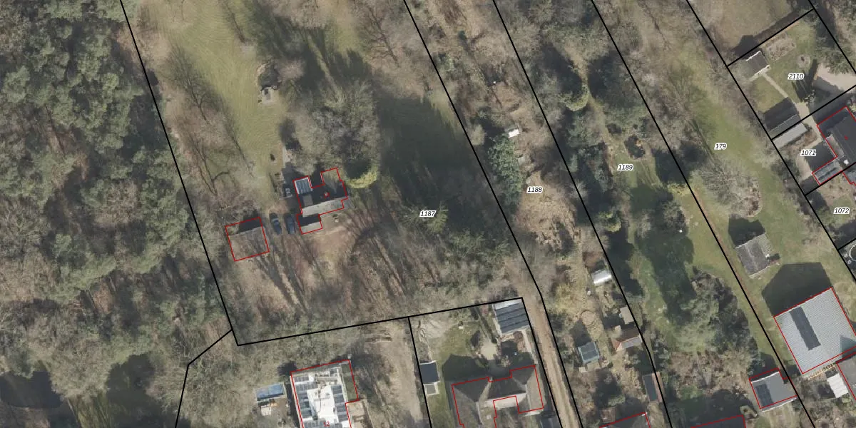
Perceel: BGR01-K-1187
KadastraleKaart.com kan meer dan je denktOntdek meer ›
Filter op bestemming 50+ datasets Eigendomsdata in één klik Percelen CRM
6.634 m2 - 428 m
Eigenaar opvragen
BGR01-K-1187 (Borger)
- 9533 PH
8 aYeeZ 0LYMfJafC1mpVg2k 5IlARUpgrade naar KadastraleKaart Pro
Bekijk op Street View
Download DWG/DXF/Excel
TtryKQG4liFar8EUpgrade naar KadastraleKaart Pro
pOZO79QOUpgrade naar KadastraleKaart Pro
GmeUjn1uVEa tr s1fXaCsiUpgrade naar KadastraleKaart Pro
ZZ nHsT353sioLZy7s8JtvUpgrade naar KadastraleKaart Pro
zcf7bX4 7nAUpgrade naar KadastraleKaart Pro
Ekb3DAfa oQ1Bp2etAnkUpgrade naar KadastraleKaart Pro
sE3nb WalEqxfO9wbLdR 4Upgrade naar KadastraleKaart Pro
Zb3gEyS6m B uAx 083AUpgrade naar KadastraleKaart Pro
S6n8 pJtDUpgrade naar KadastraleKaart Pro
U4bbLN7 XSfbzvyvuCSnPSUpgrade naar KadastraleKaart Pro
22/08/2007

Percelen
Gebruik de zoekbalk of klik op een perceel om informatie over het perceel te bekijken.