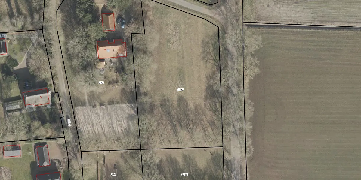
Perceel: BGR01-K-1347
KadastraleKaart.com kan meer dan je denktOntdek meer ›
Filter op bestemming 50+ datasets Eigendomsdata in één klik Percelen CRM
Geen adressen bij dit perceel
3.560 m2 - 252 m
Eigenaar opvragen
BGR01-K-1347 (Borger)
- Geen postcode aanwezig
VRPA VnC9Mhr0aMTIngrX 6Upgrade naar KadastraleKaart Pro
Bekijk op Street View
Download DWG/DXF/Excel
XJkDFQ Sxl Upgrade naar KadastraleKaart Pro
DmOzv2nIHLtXW6QBv5FADPsUpgrade naar KadastraleKaart Pro
iPIcnruQUpgrade naar KadastraleKaart Pro
ofvTO7o6RYcljmOhgmduOUpgrade naar KadastraleKaart Pro
wJLCgTkKWJvGUpgrade naar KadastraleKaart Pro
g AqjKAv5H jUpgrade naar KadastraleKaart Pro
KYpXq4r8RisBSX0ry6sTOUpgrade naar KadastraleKaart Pro
UfNFoFRAEngUpgrade naar KadastraleKaart Pro
pCHI R8tAIUpgrade naar KadastraleKaart Pro
HyQD8iXSopyPpUpgrade naar KadastraleKaart Pro
28/11/1997

Percelen
Gebruik de zoekbalk of klik op een perceel om informatie over het perceel te bekijken.