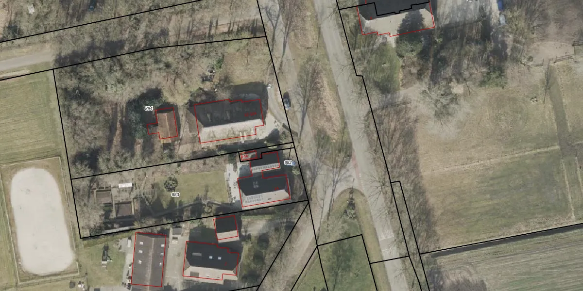
Perceel: BGR01-K-882
KadastraleKaart.com kan meer dan je denktOntdek meer ›
Filter op bestemming 50+ datasets Eigendomsdata in één klik Percelen CRM
48 m2 - 45 m
Eigenaar opvragen
BGR01-K-882 (Borger)
- 9528 RL
nmDhka2 dZCA g67Mo frxLUpgrade naar KadastraleKaart Pro
Bekijk op Street View
Download DWG/DXF/Excel
HONiddfx68ZUpgrade naar KadastraleKaart Pro
Fry6I66kZ985Upgrade naar KadastraleKaart Pro
R6F0QM0bpfKuUpgrade naar KadastraleKaart Pro
rYBy SfyUpgrade naar KadastraleKaart Pro
kRzycG Ng8 Gxn4qQUpgrade naar KadastraleKaart Pro
kjH22f39t5I711DwRys FWDUpgrade naar KadastraleKaart Pro
A XUiNzlUpgrade naar KadastraleKaart Pro
X611bjqG1JUpgrade naar KadastraleKaart Pro
s18Hlmp5quAUpgrade naar KadastraleKaart Pro
FxUktwW6BBiardmEce6 uLxUpgrade naar KadastraleKaart Pro
12/11/2004

Percelen
Gebruik de zoekbalk of klik op een perceel om informatie over het perceel te bekijken.