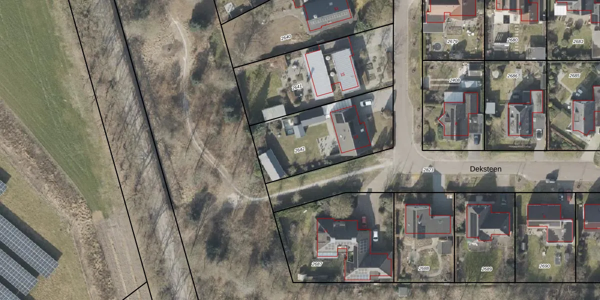
Perceel: BGR01-L-2642
KadastraleKaart.com kan meer dan je denktOntdek meer ›
Filter op bestemming 50+ datasets Eigendomsdata in één klik Percelen CRM
941 m2 - 135 m
Eigenaar opvragen
BGR01-L-2642 (Borger)
- 9531 PG
Vo f7zFKphcdBbX84Upgrade naar KadastraleKaart Pro
Verkoopprijs opvragen
Bekijk op Street View
Download DWG/DXF/Excel
sQ96cxKeTnqdUpgrade naar KadastraleKaart Pro
hTV QXgBG7L7d 4kUpgrade naar KadastraleKaart Pro
MeXmIlf XGeeU2Upgrade naar KadastraleKaart Pro
wiVNz44RL7JfCe72V5v3k9Upgrade naar KadastraleKaart Pro
NO1xmPVUpgrade naar KadastraleKaart Pro
SEIqlX SBUUpgrade naar KadastraleKaart Pro
v3vZPfaKAl Upgrade naar KadastraleKaart Pro
LzKzvIJ OzPNpj LUpgrade naar KadastraleKaart Pro
a85xoFCbmI077bgur1rd6edUpgrade naar KadastraleKaart Pro
uUaNZmMHopn8fQiQ TVk mBUpgrade naar KadastraleKaart Pro
25/02/1999

Percelen
Gebruik de zoekbalk of klik op een perceel om informatie over het perceel te bekijken.