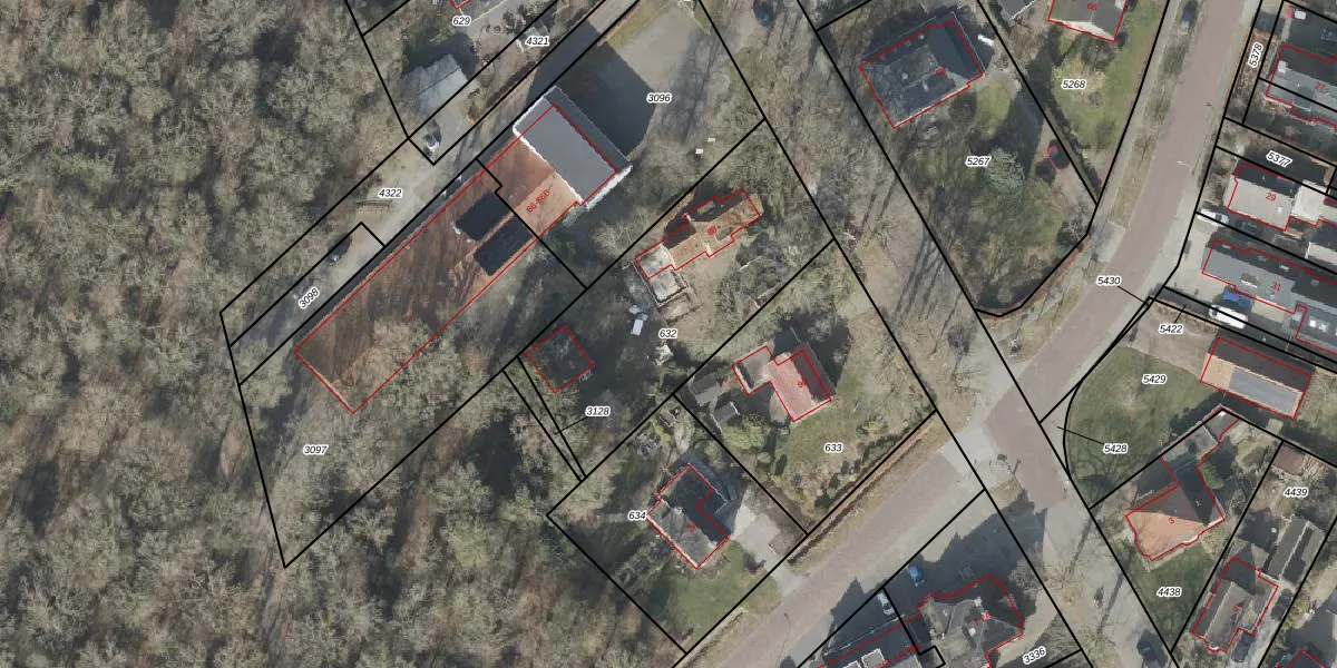
Perceel: BGR01-L-632
KadastraleKaart.com kan meer dan je denktOntdek meer ›
Filter op bestemming 50+ datasets Eigendomsdata in één klik Percelen CRM
1.040 m2 - 145 m
Eigenaar opvragen
BGR01-L-632 (Borger)
- 9531 AJ
Ej0M6daaXgiTObBFCrz6nz9xRv2Upgrade naar KadastraleKaart Pro
Verkoopprijs opvragen
Bekijk op Street View
Download DWG/DXF/Excel
KxSehifnUpgrade naar KadastraleKaart Pro
uzZ6zMQnlDZ90 BPEUpgrade naar KadastraleKaart Pro
9S5q2vX7EzmqGMhGUpgrade naar KadastraleKaart Pro
acsbF ifu do mEzLc1XoUpgrade naar KadastraleKaart Pro
Vd7wd9 RPqnrUpgrade naar KadastraleKaart Pro
JujN ZTgSh2lNrK 6Upgrade naar KadastraleKaart Pro
t5biVP2Ru0VdlpAzpUpgrade naar KadastraleKaart Pro
dhmC6gyUpgrade naar KadastraleKaart Pro
OAzGpoR07i 8Upgrade naar KadastraleKaart Pro
oPsKgZZg5GRdGtckl01Upgrade naar KadastraleKaart Pro
08/03/2005

Percelen
Gebruik de zoekbalk of klik op een perceel om informatie over het perceel te bekijken.