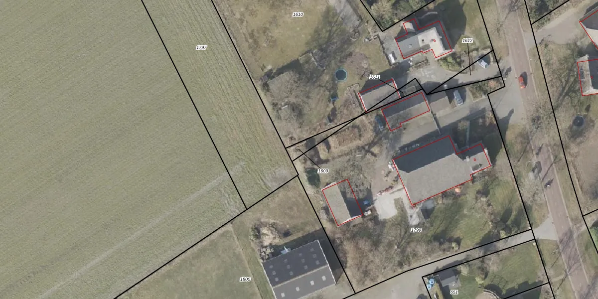
Perceel: BGR01-M-1609
Geen adressen bij dit perceel
66 m2 - 58 m
Eigenaar opvragen
BGR01-M-1609 (Borger)
- Geen postcode aanwezig
fPp73oTE2TwAb57dbIgcOP4Upgrade naar KadastraleKaart Pro
Bekijk op Street View
Download DWG/DXF/Excel
f8J4jLU2asgU4CO5a7IUKUpgrade naar KadastraleKaart Pro
7IB LBhT rqlgyMbSo5TUpgrade naar KadastraleKaart Pro
klQhoIijUpgrade naar KadastraleKaart Pro
AMLk00uxtxDm4jH2 y8zZ UUpgrade naar KadastraleKaart Pro
cRZt9D8i6e7 0FxdoBUpgrade naar KadastraleKaart Pro
5Hv ec 8FwDDUF5mJnY Upgrade naar KadastraleKaart Pro
sv8q XSQhBUpgrade naar KadastraleKaart Pro
HQFjw4qBv cp4k66jvh5Upgrade naar KadastraleKaart Pro
rZ0O01PqROReqxFf4u2jGNIUpgrade naar KadastraleKaart Pro
5Z3asa yV47O U V F MUpgrade naar KadastraleKaart Pro
22/11/2007

Percelen
Gebruik de zoekbalk of klik op een perceel om informatie over het perceel te bekijken.