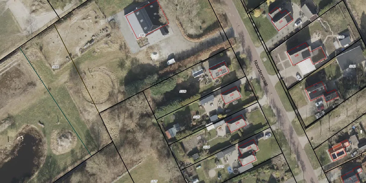
Perceel: BGR01-N-1126
KadastraleKaart.com kan meer dan je denktOntdek meer ›
Filter op bestemming 50+ datasets Eigendomsdata in één klik Percelen CRM
905 m2 - 144 m
Eigenaar opvragen
BGR01-N-1126 (Borger)
- 9524 PB
p COknkCgK21vbI7pNCBU rhtp5repUUpgrade naar KadastraleKaart Pro
Bekijk op Street View
Download DWG/DXF/Excel
5D0bZwtD0a7flp9ZAUpgrade naar KadastraleKaart Pro
G 8kUuYhUUpgrade naar KadastraleKaart Pro
7dqvIlscUilRbfez7TzUpgrade naar KadastraleKaart Pro
ui5 2ynFYbKgG 3dFUpgrade naar KadastraleKaart Pro
0W4h19Ii3sP m PxGGAUpgrade naar KadastraleKaart Pro
dB ip WflFC9 eZgWw48Upgrade naar KadastraleKaart Pro
Gu4XsnyNsG5Upgrade naar KadastraleKaart Pro
gbX CXi sMzO5axSLUpgrade naar KadastraleKaart Pro
QiEQ5GVyvnMmMUpgrade naar KadastraleKaart Pro
fNfSca73a8G TLW5mwtnqCUpgrade naar KadastraleKaart Pro
12/11/2001

Percelen
Gebruik de zoekbalk of klik op een perceel om informatie over het perceel te bekijken.