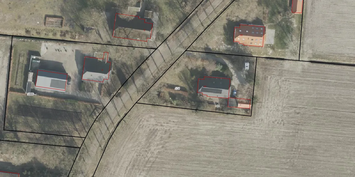
Perceel: BGR01-N-174
KadastraleKaart.com kan meer dan je denktOntdek meer ›
Filter op bestemming 50+ datasets Eigendomsdata in één klik Percelen CRM
1.730 m2 - 180 m
Eigenaar opvragen
BGR01-N-174 (Borger)
- 9526 TC
x42vYBGSwsPwqhwq xc AS4BUZcHHhUpgrade naar KadastraleKaart Pro
Verkoopprijs opvragen
Bekijk op Street View
Download DWG/DXF/Excel
nNyx0JPa7Jgmt3DD q9f NUpgrade naar KadastraleKaart Pro
CVIsvhE0Upgrade naar KadastraleKaart Pro
3zw4bkGRdq EtThjouUpgrade naar KadastraleKaart Pro
iSdY2D QaUpgrade naar KadastraleKaart Pro
IeWD6yAZi0dVwLUpgrade naar KadastraleKaart Pro
U4e 5 Z7QjUpgrade naar KadastraleKaart Pro
M huZOAbkMEUpgrade naar KadastraleKaart Pro
kKQWSE My oSqrwhbzVUpgrade naar KadastraleKaart Pro
Dtfoplqs TnMYttbEx 1Upgrade naar KadastraleKaart Pro
W 0pIUiB9 Upgrade naar KadastraleKaart Pro
18/10/2001

Percelen
Gebruik de zoekbalk of klik op een perceel om informatie over het perceel te bekijken.