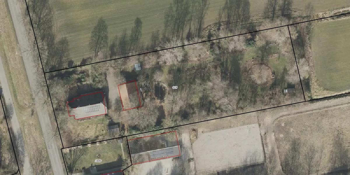
Perceel: BGR01-N-914
6.279 m2 - 372 m
Eigenaar opvragen
BGR01-N-914 (Borger)
- 9528 RL
QsDKF K jvsY2T5f cD y7uJ6ms7VUpgrade naar KadastraleKaart Pro
Verkoopprijs opvragen
Bekijk op Street View
Download DWG/DXF/Excel
ZNaa8um bL9jBUpgrade naar KadastraleKaart Pro
h37HePKY3kxr7L8w517 5TjUpgrade naar KadastraleKaart Pro
wXt H ACUpgrade naar KadastraleKaart Pro
czkHdD uq6 c6GsUpgrade naar KadastraleKaart Pro
IOBCzLPtwNGlZUJClUpgrade naar KadastraleKaart Pro
AWYnekyVdtyMDlL6tJUpgrade naar KadastraleKaart Pro
MkfHpRSRvUpgrade naar KadastraleKaart Pro
CZNBj1P079KAoDgEQaUpgrade naar KadastraleKaart Pro
5GZsn0cngTSUpgrade naar KadastraleKaart Pro
NsN4NEF59ZpWhwUpgrade naar KadastraleKaart Pro
15/06/2009

Percelen
Gebruik de zoekbalk of klik op een perceel om informatie over het perceel te bekijken.