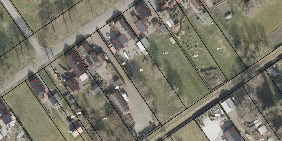
Perceel: BGR01-P-474
KadastraleKaart.com kan meer dan je denktOntdek meer ›
Filter op bestemming 50+ datasets Eigendomsdata in één klik Percelen CRM
1.735 m2 - 206 m
Eigenaar opvragen
BGR01-P-474 (Borger)
- 9521 BE
G qYS5nMLyZhDkLXioj0EvUpgrade naar KadastraleKaart Pro
Verkoopprijs opvragen
Bekijk op Street View
Download DWG/DXF/Excel
u dCyM9A1elfWUpgrade naar KadastraleKaart Pro
p4QBH bISJ5gme7D bZBUpgrade naar KadastraleKaart Pro
Fv niIeG69lWQ1aK 4kQ cUpgrade naar KadastraleKaart Pro
K n2WPJLG ZuM8xIyHT5Upgrade naar KadastraleKaart Pro
leg 6PTQrtqUpgrade naar KadastraleKaart Pro
v8x1NSDHp01tKBO 3rfsUpgrade naar KadastraleKaart Pro
PsIK65d eUpgrade naar KadastraleKaart Pro
L44w GClWDx7CUpgrade naar KadastraleKaart Pro
xzOTG XaZnuEqr6zboUpgrade naar KadastraleKaart Pro
safkf2NGYiEXLMIX CwkUpgrade naar KadastraleKaart Pro
27/11/2002

Percelen
Gebruik de zoekbalk of klik op een perceel om informatie over het perceel te bekijken.