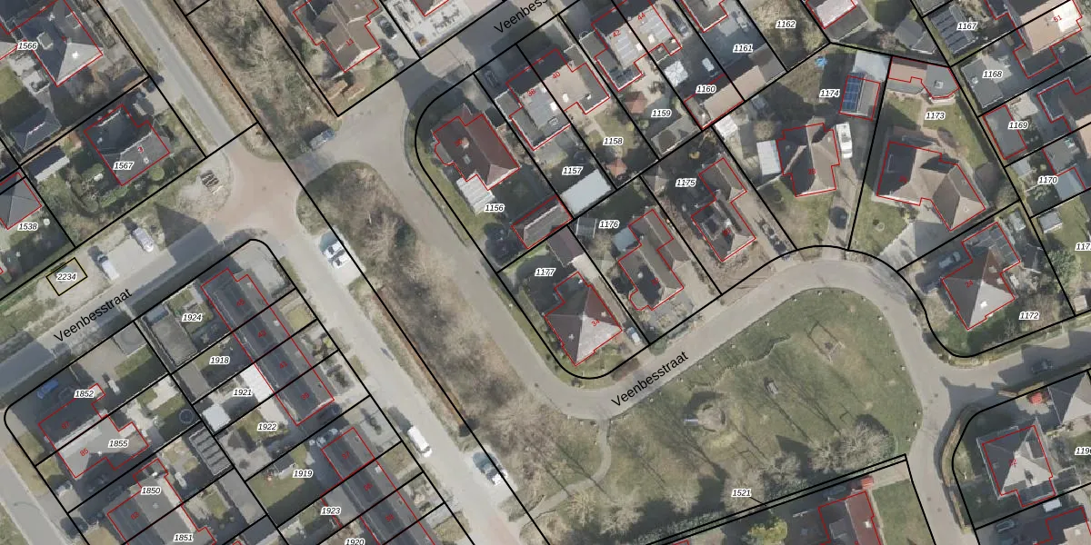
Perceel: BGR01-R-1177
KadastraleKaart.com kan meer dan je denktOntdek meer ›
Filter op bestemming 50+ datasets Eigendomsdata in één klik Percelen CRM
411 m2 - 82 m
Eigenaar opvragen
BGR01-R-1177 (Borger)
- 9521 KJ
Y8kUHd rnmGZulGhGT2lcJDtUpgrade naar KadastraleKaart Pro
Verkoopprijs opvragen
Bekijk op Street View
Download DWG/DXF/Excel
AM5DgaNOLeUpgrade naar KadastraleKaart Pro
v6cpGXOHevpkzKFC329zsUpgrade naar KadastraleKaart Pro
3cMIzZwfd8MIZVt IVTmF Upgrade naar KadastraleKaart Pro
WdoNyEv9tWGUpgrade naar KadastraleKaart Pro
E45 CY0KEIUpgrade naar KadastraleKaart Pro
VKAcOb tqpAkCMITo 86zBrUpgrade naar KadastraleKaart Pro
7 TsyqNm57h2Upgrade naar KadastraleKaart Pro
YqUnq7C5HEXtqc5lUxHamUpgrade naar KadastraleKaart Pro
l tgRf5Mgq4fLThKTjUUpgrade naar KadastraleKaart Pro
aFCtHuCAUdUpgrade naar KadastraleKaart Pro
27/07/2009

Percelen
Gebruik de zoekbalk of klik op een perceel om informatie over het perceel te bekijken.