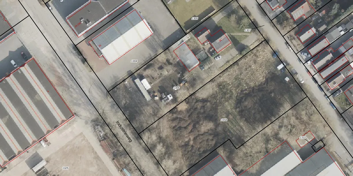
Perceel: BGR01-R-1306
KadastraleKaart.com kan meer dan je denktOntdek meer ›
Filter op bestemming 50+ datasets Eigendomsdata in één klik Percelen CRM
2.668 m2 - 237 m
Eigenaar opvragen
BGR01-R-1306 (Borger)
- 9521 GG
PN8Bn5G pz T2z0iJ46 NUpgrade naar KadastraleKaart Pro
Verkoopprijs opvragen
Bekijk op Street View
Download DWG/DXF/Excel
NcNo uu uWEUpgrade naar KadastraleKaart Pro
8MmwiuFEjWJsdAh05H1Zch0Upgrade naar KadastraleKaart Pro
PGTb2dMGxCcwwVUCWUpgrade naar KadastraleKaart Pro
bgNTr2S la nEX LRQX6Upgrade naar KadastraleKaart Pro
UE zMpW990j I9rEssxUpgrade naar KadastraleKaart Pro
nsRb62EDxPi79FLrTDUpgrade naar KadastraleKaart Pro
wRsREYErLGkFb06gauxHUpgrade naar KadastraleKaart Pro
yz PjVkHcUYE hMP b2JUpgrade naar KadastraleKaart Pro
oIR5cV pB1UMCMg Upgrade naar KadastraleKaart Pro
5UEhk6QMrP 3h07tAUpgrade naar KadastraleKaart Pro
02/02/2010

Percelen
Gebruik de zoekbalk of klik op een perceel om informatie over het perceel te bekijken.