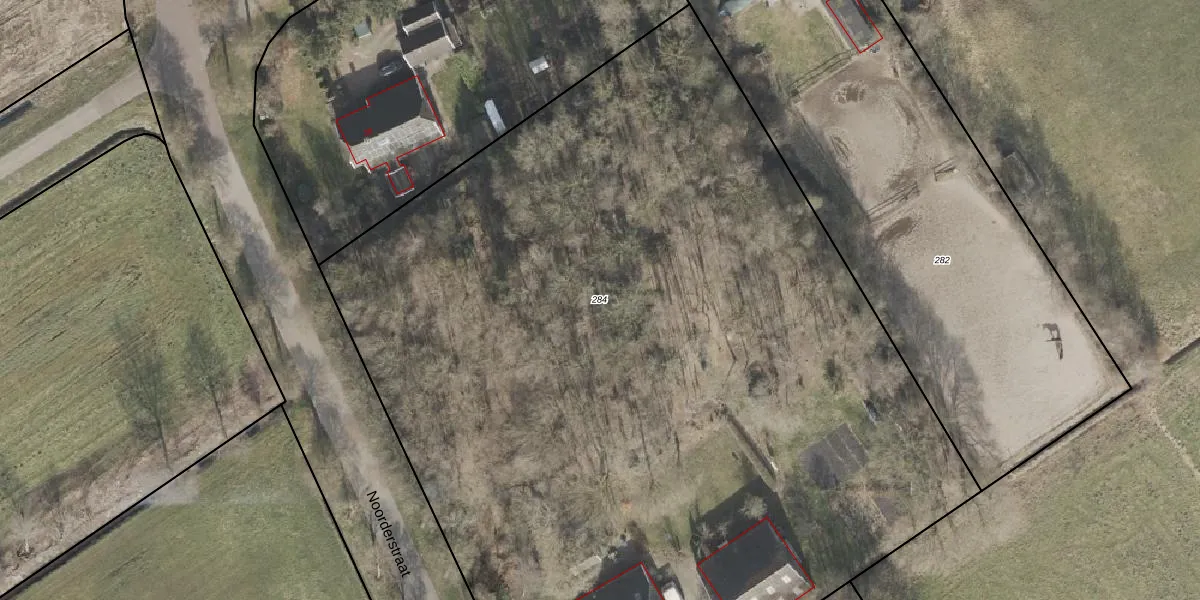
Perceel: BGR01-R-284
KadastraleKaart.com kan meer dan je denktOntdek meer ›
Filter op bestemming 50+ datasets Eigendomsdata in één klik Percelen CRM
7.570 m2 - 351 m
Eigenaar opvragen
BGR01-R-284 (Borger)
- 9524 PD
ndSbme4A8Tw67uPcR VI0jQ0AUpgrade naar KadastraleKaart Pro
Bekijk op Street View
Download DWG/DXF/Excel
xWptozvjSUpgrade naar KadastraleKaart Pro
80GImUJJtlQoO8uSS7I SUpgrade naar KadastraleKaart Pro
HCpN603r7Upgrade naar KadastraleKaart Pro
Q x hAlVpu6jAm Upgrade naar KadastraleKaart Pro
wpf41X9WYv LOdknOUpgrade naar KadastraleKaart Pro
8 NHwGeZbLz8Upgrade naar KadastraleKaart Pro
whQztSJ ISOCpCYgjzK 0KUpgrade naar KadastraleKaart Pro
2Ti6u52Z46PpUpgrade naar KadastraleKaart Pro
XQKRAN2pvMzb5OfxsnWUpgrade naar KadastraleKaart Pro
1KKE3iaW8uWYQ8r8Bomh9PUpgrade naar KadastraleKaart Pro
20/11/2001

Percelen
Gebruik de zoekbalk of klik op een perceel om informatie over het perceel te bekijken.